Forum Entomologi Italiani
https://www.entomologiitaliani.net/public/forum/phpbb3/

Polyderis algiricus (P.H. Lucas, 1846) - Carabidae
https://www.entomologiitaliani.net/public/forum/phpbb3/viewtopic.php?f=143&t=104614
Pagina 1 di 1

Autore:  Angelo2 [ 08/04/2024, 17:03 ]
Oggetto del messaggio:  Polyderis algiricus (P.H. Lucas, 1846) - Carabidae

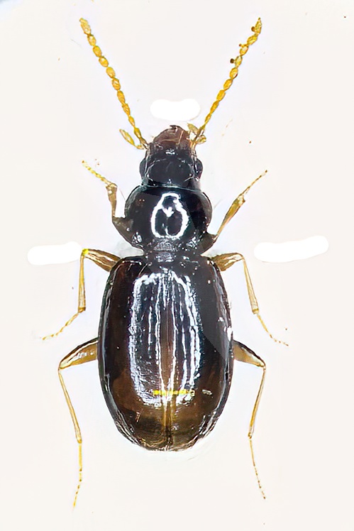
Salve catturato qualche ex di Polyderis brevicornis ne posto la foto dato che non mi sembra ce ne siano altre nel sito

Allegati:
Tachys 1-SharpenAI-Standard.jpg


Autore:  Angelo2 [ 24/04/2024, 13:26 ]
Oggetto del messaggio:  Re: Polyderis brevicornis (Chaudoir, 1846) - Carabidae

dopo un attento esame penso si tratti di Polyderis algiricus dato che si evidenziano due strie elitrali oltre alla sutura
nel brevicornis ce ne dovrebbe essere una e anche la forma della testa sembra leggermente piu stretta che nel brevicornis
attendo conferme grazie

Autore:  roballen [ 26/04/2024, 5:23 ]
Oggetto del messaggio:  Re: Polyderis brevicornis (Chaudoir, 1846) - Carabidae

Come ha detto Angelo, anch'io penso che sia Polyderis algiricus con le caratteristiche sopra indicate.

Pagina 1 di 1 Tutti gli orari sono UTC + 1 ora [ ora legale ]
Powered by phpBB® Forum Software © phpBB Group
http://www.phpbb.com/