| Forum Entomologi Italiani https://www.entomologiitaliani.net/public/forum/phpbb3/ |
|
| Homalodera testacea Jeannel, 1962 - Carabidae https://www.entomologiitaliani.net/public/forum/phpbb3/viewtopic.php?f=143&t=107352 |
Pagina 1 di 1 |
| Autore: | Rothari [ 06/10/2025, 19:22 ] |
| Oggetto del messaggio: | Homalodera testacea Jeannel, 1962 - Carabidae |
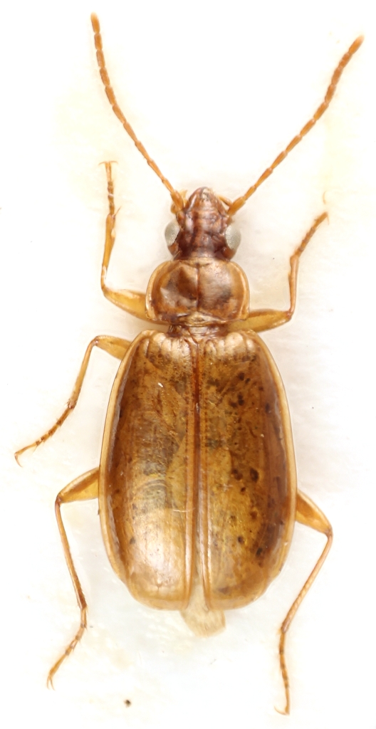
Buonasera! È da un po' che ho questa Homalodera dal Cile che gira nelle scatole magazzino e vorrei chiedere se qualcuno ha qualche idea di che specie possa essere. Può essere magari la testacea? Lunghezza: 5 mm.Grazie! |
|
| Autore: | Orotrechus [ 09/10/2025, 11:33 ] |
| Oggetto del messaggio: | Re: Homalodera da identificare |
Homalodera testacea Jeannel, 1962 Ciao Mario |
|
| Pagina 1 di 1 | Tutti gli orari sono UTC + 1 ora [ ora legale ] |
| Powered by phpBB® Forum Software © phpBB Group http://www.phpbb.com/ |
|