Benvenuto Ospite

Forum Entomologi Italiani

www.entomologiitaliani.net/forum
 
Oggi è 29/03/2026, 14:17

Tutti gli orari sono UTC + 1 ora [ ora legale ]

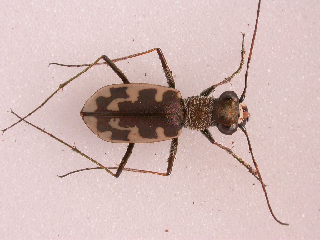
Cephalota (Taenidia) litorea goudotii (Dejean & Boisduval, 1829) - Carabidae Cicindelinae

3.IX.2010 - ITALIA - Sardegna - CA, saline di Cagliari


nuovo argomento
rispondi
Pagina 1 di 1 [ 1 messaggio ]
Autore Messaggio
MessaggioInviato: 03/09/2010, 17:47 
Avatar utente

Iscritto il: 02/09/2009, 20:57
Messaggi: 8703
Località: Cagliari
Nome: Roberto Rattu
Dopo pranzo, una passeggiata alle saline di Cagliari (grazie al cielo dietro casa :D ) ed ecco una bella Cephalota (Taenidia) litorea goudotii. Presa oggi (3 settembre 2010):
DSCN5417.JPG



Top
profilo
Visualizza ultimi messaggi:  Ordina per  
nuovo argomento
rispondi
Pagina 1 di 1 [ 1 messaggio ]

Tutti gli orari sono UTC + 1 ora [ ora legale ]


Chi c’è in linea

Visitano il forum: Nessuno e 10 ospiti


Non puoi aprire nuovi argomenti
Non puoi rispondere negli argomenti
Non puoi modificare i tuoi messaggi
Non puoi cancellare i tuoi messaggi
Non puoi inviare allegati

Cerca per:
Vai a: