| Autore |
Messaggio |
|
andreafabbri
|
Inviato: 09/01/2010, 14:01 |
|
Iscritto il: 14/03/2009, 15:34 Messaggi: 198 Località: Belluno
Nome: Andrea Fabbri
|
Friuli - Pozzo dei bellunesi si tratta di un ingresso secondario del ben più famoso Bus de la Lum, questo è il link del rilievo della grotta http://www.catastogrotte.it/rilievi/350 ... lunesi.jpg" onclick="window.open(this.href);return false;
_________________ Andrea
|
|
| Top |
|
 |
|
sbrisio77
|
Inviato: 09/01/2010, 14:08 |
|
Iscritto il: 08/01/2010, 13:09 Messaggi: 8
Nome: manuel soppelsa
|
ciao andrea sono manuel! dai ancora qualche mese...  ciao!
|
|
| Top |
|
 |
|
StagBeetle
|
Inviato: 09/01/2010, 14:11 |
|
Iscritto il: 10/05/2009, 15:30 Messaggi: 7183 Località: Ancona
Nome: Giacomo Giovagnoli
|
Quanto è grosso?? Come si beccano queste belle bestiole di grotta? Con trappole? Perchè conosco alcune grotte e ci farei un pensierino... 
_________________  Giacomo
|
|
| Top |
|
 |
|
andreafabbri
|
Inviato: 09/01/2010, 14:15 |
|
Iscritto il: 14/03/2009, 15:34 Messaggi: 198 Località: Belluno
Nome: Andrea Fabbri
|
|
ciao Manuel,
pazzesco siamo a pochi chilometri e ci troviamo qui. Ci sentiamo ciao
_________________ Andrea
|
|
| Top |
|
 |
|
gomphus
|
Inviato: 09/01/2010, 16:30 |
|
Iscritto il: 05/02/2009, 17:31 Messaggi: 9527 Località: milano
Nome: maurizio pavesi
|
StagBeetle ha scritto: ... Come si beccano queste belle bestiole di grotta? Con trappole?... non necessariamente  ... dipende dalle bestie e dalle grotte  , alcuni in certe grotte si acchiappano benino  anche a caccia diretta, oppure con esche libere senza trappole  ... per altri è più dura certo, un filino di pratica non guasta  ...
_________________ ***************** maurizio
|
|
| Top |
|
 |
|
andreafabbri
|
Inviato: 09/01/2010, 21:24 |
|
Iscritto il: 14/03/2009, 15:34 Messaggi: 198 Località: Belluno
Nome: Andrea Fabbri
|
|
ciao,
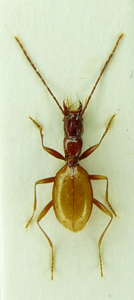
per quanto riguarda la lunghezza circa 8 mm (è una gran bella bestia)
per la ricerca va bene quello che ti ha già detto gomphus, con un'avvertenza in più: se la grotta è una sala e basta tutta orizzontale ci puoi fare anche un pensiero, se è qualcosa di più complicato è meglio essere preparati sia dal punto di vista dell'attrezzattura che delle conoscenze dell'ambiente; la grotta è un ambiente estremo e quindi va affrontato con l'adeguata preparazione
_________________ Andrea
|
|
| Top |
|
 |
|
gomphus
|
Inviato: 09/01/2010, 21:49 |
|
Iscritto il: 05/02/2009, 17:31 Messaggi: 9527 Località: milano
Nome: maurizio pavesi
|
andreafabbri ha scritto: ... se la grotta è una sala e basta tutta orizzontale ci puoi fare anche un pensiero, se è qualcosa di più complicato è meglio essere preparati sia dal punto di vista dell'attrezzattura che delle conoscenze dell'ambiente; la grotta è un ambiente estremo e quindi va affrontato con l'adeguata preparazione... anche se è una semplice sala bisogna essere preparati, e soprattutto non distrarsi mai (magari perché presi dall'entusiasmo), ad es. quando l'accesso a una sala è un'apertura stretta, al momento di tornare indietro possiamo scoprire che ricordarci da dove siamo venuti non è affatto così ovvio come ci era sembrato  ... in grotta non si può lasciare nulla al caso  , una banalissima saletta in fondo a un cunicolo orizzontale, con la lampada che smette di funzionare e quella di scorta che non abbiamo controllato e che a funzionare non ci pensa proprio (o che abbiamo dimenticato di portare), può trasformarsi in una trappola da far invidia a quelle per carabi  ...
_________________ ***************** maurizio
|
|
| Top |
|
 |
|
andreafabbri
|
Inviato: 09/01/2010, 22:13 |
|
Iscritto il: 14/03/2009, 15:34 Messaggi: 198 Località: Belluno
Nome: Andrea Fabbri
|
|
| Top |
|
 |
|
Tc70
|
Inviato: 10/11/2010, 21:41 |
|
Iscritto il: 09/11/2010, 19:52 Messaggi: 4518 Località: Brescia
Nome: Luca Bodei
|
Se posso aggiungere,oltre la preparazione tecnico/fisico/mentale,in grotta NON si va mai da soli  !! o al limite se lo si fa lasciare detto a qualcuno della zona e che conosca il posto dove si è andati ad entomologare!! 
_________________ Tc70
|
|
| Top |
|
 |
|