Benvenuto Ospite

Forum Entomologi Italiani

www.entomologiitaliani.net/forum
 
Oggi è 22/11/2025, 19:49

Tutti gli orari sono UTC + 1 ora [ ora legale ]

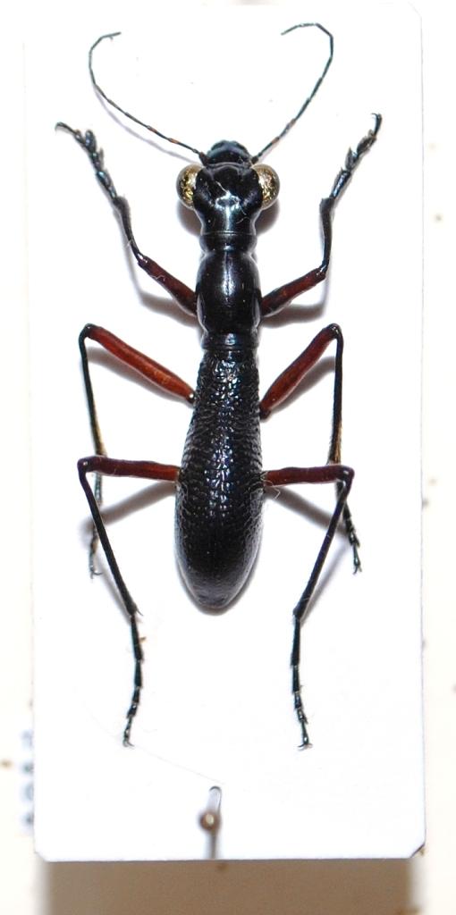
Tricondyla aptera aptera (Olivier, 1790) - Carabidae

20.I.2006 - EE, Halmahera


nuovo argomento
rispondi
Pagina 1 di 1 [ 4 messaggi ]
Autore Messaggio
MessaggioInviato: 15/08/2011, 21:36 
Avatar utente

Iscritto il: 16/05/2010, 14:26
Messaggi: 761
Località: United Kingdom
Nome: Zdenko Lucbauer
can someone confirm please ?
Thanks !

Zdeno


cicindela 001.JPG

Top
profilo
MessaggioInviato: 15/08/2011, 21:45 
Avatar utente

Iscritto il: 05/02/2009, 17:47
Messaggi: 7252
Località: Cagliari
Nome: Piero Leo
I think that is correct Tricondyla aptera aptera (Olivier, 1790)

:) Ciao
Piero


Top
profilo
MessaggioInviato: 15/08/2011, 21:56 
Avatar utente

Iscritto il: 05/02/2009, 17:31
Messaggi: 9527
Località: milano
Nome: maurizio pavesi
hi zdeno

can you indicate the size?

_________________
*****************
Immagine maurizio


Top
profilo
MessaggioInviato: 15/08/2011, 21:59 
Avatar utente

Iscritto il: 16/05/2010, 14:26
Messaggi: 761
Località: United Kingdom
Nome: Zdenko Lucbauer
yep, aptera Piero. The labels are so small, I just couldnt read it :evil:

The size is 20mm.

Thanks

:hi:


Top
profilo
Visualizza ultimi messaggi:  Ordina per  
nuovo argomento
rispondi
Pagina 1 di 1 [ 4 messaggi ]

Tutti gli orari sono UTC + 1 ora [ ora legale ]


Chi c’è in linea

Visitano il forum: Nessuno e 11 ospiti


Non puoi aprire nuovi argomenti
Non puoi rispondere negli argomenti
Non puoi modificare i tuoi messaggi
Non puoi cancellare i tuoi messaggi
Non puoi inviare allegati

Cerca per:
Vai a: