Benvenuto Ospite

Forum Entomologi Italiani

www.entomologiitaliani.net/forum
 
Oggi è 23/11/2025, 18:11

Tutti gli orari sono UTC + 1 ora [ ora legale ]

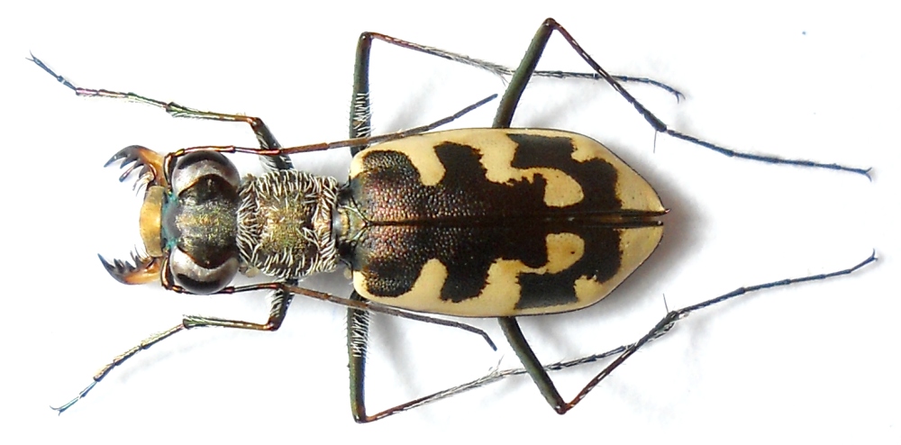
Cephalota (Taenidia) litorea goudoti (Dejean & Boisduval, 1829) - Carabidae Cicindelinae

13.VIII.1995 - ITALIA - Sardegna - CA, Cagliari, Stagno di Santa Gilla, P. Leo leg.


nuovo argomento
rispondi
Pagina 1 di 1 [ 2 messaggi ]
Autore Messaggio
MessaggioInviato: 22/08/2011, 12:32 
Avatar utente

Iscritto il: 05/02/2009, 17:47
Messaggi: 7252
Località: Cagliari
Nome: Piero Leo
Un'altra bella specie di Taenidia rinvenibile negli stagni salati dei dintorni di Cagliari:
Cephalota (Taenidia) litorea goudoti (Dejean & Boisduval, 1829).

Lunghezza 15 mm
litorea goudoti 01.jpg


litorea goudoti 02.jpg



:) Ciao
Piero


Top
profilo
MessaggioInviato: 22/08/2011, 13:16 
Avatar utente

Iscritto il: 10/05/2010, 22:31
Messaggi: 4371
Località: Gavorrano (GR)
Nome: marco bastianini
Tenebrio ha scritto:
Un'altra bella specie

...effettivamente anche questa non scherza :shock: :shock:

_________________
:to: Marco
"Le foreste a precedere le civiltà, i deserti a seguire."
François-René de Chateaubriand


Top
profilo
Visualizza ultimi messaggi:  Ordina per  
nuovo argomento
rispondi
Pagina 1 di 1 [ 2 messaggi ]

Tutti gli orari sono UTC + 1 ora [ ora legale ]


Chi c’è in linea

Visitano il forum: Nessuno e 11 ospiti


Non puoi aprire nuovi argomenti
Non puoi rispondere negli argomenti
Non puoi modificare i tuoi messaggi
Non puoi cancellare i tuoi messaggi
Non puoi inviare allegati

Cerca per:
Vai a: