| Autore |
Messaggio |
|
Mimmo011
|
Inviato: 30/10/2011, 20:47 |
|
Iscritto il: 08/07/2010, 10:53 Messaggi: 3171 Località: Matera
Nome: Domenico Cardinale
|
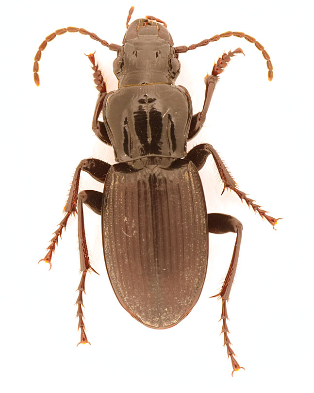
Ciao a tutti  Questo è il più grande che ho trovato!! 19 mm
_________________ Saluti Mimmo
|
|
| Top |
|
 |
|
Maurizio Bollino
|
Inviato: 30/10/2011, 20:54 |
|
Iscritto il: 25/11/2009, 9:31 Messaggi: 8158 Località: Lecce
Nome: Maurizio Bollino
|
|
| Top |
|
 |
|
aug
|
Inviato: 30/10/2011, 21:13 |
|
Iscritto il: 05/02/2009, 17:44 Messaggi: 2695 Località: Garbagnate Milanese
Nome: Augusto Franzini
|
|
Il riflesso lucido imbroglia, ma direi che si tratta di un Percus bilineatus Dejean. Aspetta che venga confermato.
_________________ Augusto (aug) Prediction is very difficult, especially about the future (Niels Bohr, fisico)
|
|
| Top |
|
 |
|
Julodis
|
Inviato: 30/10/2011, 21:24 |
|
Iscritto il: 30/12/2009, 22:20 Messaggi: 31564 Località: Roma
Nome: Maurizio Gigli
|
Secondo me l'illuminazione va bene. Il problema è solo nel bilanciamento del bianco. Così dovrebbe essere di un colore più corrispondente alla realtà.
|
|
| Top |
|
 |
|
eurinomio
|
Inviato: 30/10/2011, 21:38 |
|
Iscritto il: 19/09/2009, 22:25 Messaggi: 5915 Località: Brescia
Nome: Vinicio Salami
|
aug ha scritto: Il riflesso lucido imbroglia, ma direi che si tratta di un Percus bilineatus Dejean. Aspetta che venga confermato. anche per me Percus bilineatus Dejean, 1828. 
|
|
| Top |
|
 |
|
Mimmo011
|
Inviato: 30/10/2011, 22:29 |
|
Iscritto il: 08/07/2010, 10:53 Messaggi: 3171 Località: Matera
Nome: Domenico Cardinale
|
Grazie mille a tutti!! Una domanda per i carabidologi, leggo da Faunaeur che questa specie, come il Brachinus italicus, sono presenti solo in Iitalia, sono io che ho avuto gran c....o oppure è comune tra i Carabidae avere molti endemismi?? Maurizio Bollino ha scritto: Maurizio per diffondere la luce ho usasto della carta velina bianca, seondo me riflessi veri e propri non ce ne sono, il problema è il sistema di illuminazione un pò "rudimentale"  Uso da un lato la lampada della scrivania, e dall'altro la rifletto con del cartoncino argentato che si usa per coprire le vaschette di alluminio!!  Mi sto attrezzando per i led, ma costicchiano un pò! Un'altra cosa importante è un piano d'appoggio che si alza e abbassa per lo stacking, queste sono tutte foto singole!
_________________ Saluti Mimmo
|
|
| Top |
|
 |
|
ricdoc57
|
Inviato: 30/10/2011, 23:28 |
|
Iscritto il: 08/05/2010, 22:25 Messaggi: 1463 Località: Milano
Nome: Riccardo Sciaky
|
Mimmo011 ha scritto: Una domanda per i carabidologi, leggo da Faunaeur che questa specie, come il Brachinus italicus, sono presenti solo in Iitalia, sono io che ho avuto gran c....o oppure è comune tra i Carabidae avere molti endemismi??
Bé, tieni conto del fatto che "endemico" non significa automaticamente raro. L'Italia è ricchissima di endemismi, ma questo non significa che siano specie poco frequenti. I Trechus culminicoli, che a volte stanno solo sulla cima di una singola montagna, nel momento in cui si vanno a cercare spesso si trovano anche in abbondanza. Per quanto riguarda i Percus, svariate specie sono endemiche italiane, ma quasi tutte sono abbastanza frequenti. Idem dicasi per il Brachinus: anche le specie di questo sottogenere sono piuttosto localizzate, ma comuni quando ci si "capita" sopra. Diciamo che l'aspetto più interessante delle specie endemiche è che... si potrebbero scambiare bene con collezionisti extra-italiani Buona serata 
_________________ Riccardo
|
|
| Top |
|
 |
|
Mimmo011
|
Inviato: 30/10/2011, 23:41 |
|
Iscritto il: 08/07/2010, 10:53 Messaggi: 3171 Località: Matera
Nome: Domenico Cardinale
|
Grazie Riccardo!  Rileggendomi mi rendo conto che non mi sono espresso al meglio! Volevo chiedere se nei Carabidae la localizzazione in una determinata zona è più accentuata (forse perchè hanno una bassa dispersione??) rispetto ad altre famiglie di coleotteri o insetti in generale. Per esempio nelle farfalle, che hanno una capacità di dispersione molto grande, la localizzazione è meno spinta. 
_________________ Saluti Mimmo
|
|
| Top |
|
 |
|
gomphus
|
Inviato: 30/10/2011, 23:49 |
|
Iscritto il: 05/02/2009, 17:31 Messaggi: 9527 Località: milano
Nome: maurizio pavesi
|
ciao mimmo agli esempi fatti da riccardo, aggiungo due esempi banali... nel senso che due specie sostanzialmente endemiche italiane (sconfinano per un tratto limitato in territori politicamente non italiani) sono Cychrus italicus e Abax continuus, il primo diffuso nei territori collinari e montani di tutta l'italia continentale, anche se generalmente non abbondante numericamente, il secondo spesso dominante in cenosi di bassa e media quota in nord italia oops  ... bene, in attesa di riccardo, posso aggiungere che i carabidi in partenza, rispetto ad altre famiglie, presentano un elevata percentuale di elementi brachitteri, che divengono dominanti in alcune tribù/sottotribù (Carabini escl. Calosomatina, Nebriini, Trechini, Pterostichini, Sphodrina), il che ovviamente favorisce una localizzazione più o meno spinta, nonché una tendenza alla differenziazione, soprattutto quando si tratta di elementi orofili, cioè che nel clima attuale non possono scendere sotto una data quota, e quindi si trovano isolati lì dove si trovano
_________________ ***************** maurizio
|
|
| Top |
|
 |
|
Julodis
|
Inviato: 30/10/2011, 23:55 |
|
Iscritto il: 30/12/2009, 22:20 Messaggi: 31564 Località: Roma
Nome: Maurizio Gigli
|
Mimmo011 ha scritto: Grazie Riccardo!  Rileggendomi mi rendo conto che non mi sono espresso al meglio! Volevo chiedere se nei Carabidae la localizzazione in una determinata zona è più accentuata (forse perchè hanno una bassa dispersione??) rispetto ad altre famiglie di coleotteri o insetti in generale. Per esempio nelle farfalle, che hanno una capacità di dispersione molto grande, la localizzazione è meno spinta.  Rispetto a certe famiglie, sicuramente i carabidae endemizzano di più. Per esempio rispetto ai Cerambycidae e ai Buprestidae (che caso strano!). Invece se li confrontiamo con certi gruppi di Tenebrionidae o Curculionidae, mi sa che non ci sono grosse differenze.
|
|
| Top |
|
 |
|
Mimmo011
|
Inviato: 18/11/2011, 15:05 |
|
Iscritto il: 08/07/2010, 10:53 Messaggi: 3171 Località: Matera
Nome: Domenico Cardinale
|
Grazie a tutti per le interessanti spiegazioni! PS: qualcuno potrebbe rinominare la discussione??? 
_________________ Saluti Mimmo
|
|
| Top |
|
 |
|