Benvenuto Ospite

Forum Entomologi Italiani

www.entomologiitaliani.net/forum
 
Oggi è 24/11/2025, 14:37

Tutti gli orari sono UTC + 1 ora [ ora legale ]

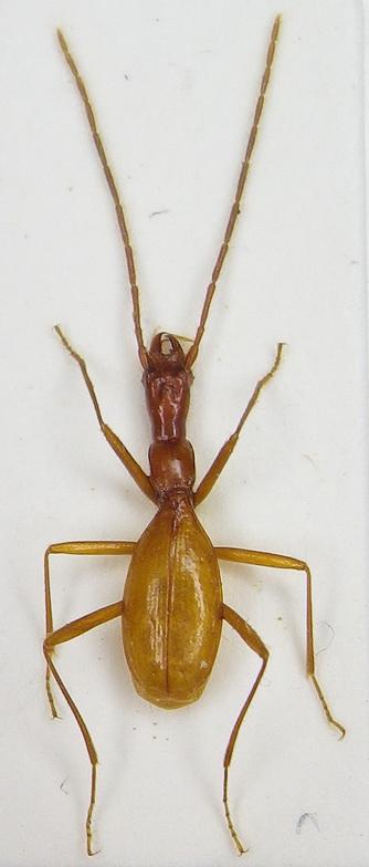
Orotrechus gigas Vigna Taglianti, 1981 - Carabidae Trechinae

22.III.1992 - ITALIA - Friuli-Venezia Giulia - PN, Barcis, Grotte Vecchia Diga n. 327 FR


nuovo argomento
rispondi
Pagina 1 di 1 [ 10 messaggi ]
Autore Messaggio
MessaggioInviato: 15/02/2012, 22:42 
Avatar utente

Iscritto il: 01/11/2010, 21:21
Messaggi: 2110
Località: Brescia
Nome: Mario Grottolo
Sicuramente uno dei più spettacolari Orotrechus.
Orotrechus gigas Vigna Taglianti, 1981
Ciao
Mario


Orotrechus gigas.JPG

Top
profilo
MessaggioInviato: 15/02/2012, 22:44 
Avatar utente

Iscritto il: 10/05/2009, 15:30
Messaggi: 7182
Località: Ancona
Nome: Giacomo Giovagnoli
:shock: :o

Visto che è gigas, dimensioni? :D ;)

_________________
Immagine Giacomo


Top
profilo
MessaggioInviato: 15/02/2012, 22:48 
Avatar utente

Iscritto il: 01/11/2010, 21:21
Messaggi: 2110
Località: Brescia
Nome: Mario Grottolo
il gigas è relativo agli altri Orotrechus, comunque dall'apice delle mandibole all'apice delle elitre circa 7 mm.
Ciao
Mario


Top
profilo
MessaggioInviato: 15/02/2012, 22:52 
Avatar utente

Iscritto il: 10/05/2010, 22:31
Messaggi: 4371
Località: Gavorrano (GR)
Nome: marco bastianini
....hum, qui siamo nel gotha degli Orotrechus.Spettacolare :shock: :shock: :shock:

_________________
:to: Marco
"Le foreste a precedere le civiltà, i deserti a seguire."
François-René de Chateaubriand


Top
profilo
MessaggioInviato: 15/02/2012, 23:13 
Avatar utente

Iscritto il: 14/01/2010, 0:10
Messaggi: 3603
Località: Liguria, Genova
Nome: Giovanni Ratto
....Splendido....!!! :o :o :o

È forse l'avatar di Andrea Fabbri? :roll:

:hi:

_________________
ImmagineGiovanni
Pactolinus gigas (Paykull, 1811)


Top
profilo
MessaggioInviato: 15/02/2012, 23:23 
Avatar utente

Iscritto il: 16/02/2009, 23:39
Messaggi: 1368
Località: Mirano (Venezia)
Nome: Enrico Ruzzier
GIG....GRAN.. BELLA BESTA ;) ;)

:hi:

_________________
«Discendiamo da scimmie evolute, non da angeli caduti» Robert Ardrey


Top
profilo
MessaggioInviato: 15/02/2012, 23:35 
Avatar utente

Iscritto il: 05/02/2009, 17:47
Messaggi: 7252
Località: Cagliari
Nome: Piero Leo
:ok: Splendido!
Habitus afenopsiano spinto al limite massimo: non sembra neanche più un Orotrechus!

:) Ciao
Piero


Top
profilo
MessaggioInviato: 16/02/2012, 0:21 
Avatar utente

Iscritto il: 18/02/2009, 0:24
Messaggi: 3909
Località: Asciano (Siena)
Nome: Andrea Petrioli
Veramente splendido :ok:

Grazie per l'immagine Mario :birra:

_________________
:hi:
______
Andrea


Top
profilo
MessaggioInviato: 16/02/2012, 20:47 
Avatar utente

Iscritto il: 06/02/2009, 9:03
Messaggi: 6373
Località: Bubano di Mordano (Bologna)
Nome: Augusto Degiovanni
hypotyphlus ha scritto:
....hum, qui siamo nel gotha degli Orotrechus.Spettacolare :shock: :shock: :shock:


+1

_________________
CIAO :hi: Augusto Degiovanni

http://anthicidaeecarabidae.altervista.org


Top
profilo
MessaggioInviato: 16/02/2012, 22:23 
Avatar utente

Iscritto il: 19/09/2009, 22:25
Messaggi: 5913
Località: Brescia
Nome: Vinicio Salami
Pactolinus ha scritto:
....Splendido....!!! :o :o :o

È forse l'avatar di Andrea Fabbri? :roll:

:hi:


se hai notato Andrea ha postato una discussione relativa alla megabestia che si è messo come avatar.

:birra: :birra:


Top
profilo
Visualizza ultimi messaggi:  Ordina per  
nuovo argomento
rispondi
Pagina 1 di 1 [ 10 messaggi ]

Tutti gli orari sono UTC + 1 ora [ ora legale ]


Chi c’è in linea

Visitano il forum: Nessuno e 10 ospiti


Non puoi aprire nuovi argomenti
Non puoi rispondere negli argomenti
Non puoi modificare i tuoi messaggi
Non puoi cancellare i tuoi messaggi
Non puoi inviare allegati

Cerca per:
Vai a: