Forum Entomologi Italiani
https://www.entomologiitaliani.net/public/forum/phpbb3/

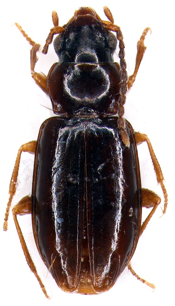
Paratachys bistriatus (Duftschmid, 1812) - Carabidae
https://www.entomologiitaliani.net/public/forum/phpbb3/viewtopic.php?f=143&t=3183
Pagina 1 di 1

Autore:  ESAPODA [ 20/10/2009, 12:40 ]
Oggetto del messaggio:  Paratachys bistriatus (Duftschmid, 1812) - Carabidae

Asinara, Cala Sant'Andrea, 17 V 2004, trappole a caduta, 2 mm.
Mi butto Paratachys sp cfr. bistriatus (Duftschmid, 1812) :roll:
Alessandro

Allegati:
Paratachys_bistriatus_CalaSantAndrea_17V2004_2mm_Z-1573 Montage.jpg


Autore:  gomphus [ 20/10/2009, 14:38 ]
Oggetto del messaggio:  Re: Paratachys sp cfr. bistriatus (Duftschmid, 1812)

ciao alessandro

direi che possiamo correggerlo in Paratachys bistriatus (Duftschmid, 1812) ;)

Autore:  ESAPODA [ 21/10/2009, 8:49 ]
Oggetto del messaggio:  Re: Paratachys bistriatus (Duftschmid, 1812)

:ok:
Alessandro

Pagina 1 di 1 Tutti gli orari sono UTC + 1 ora [ ora legale ]
Powered by phpBB® Forum Software © phpBB Group
http://www.phpbb.com/