Benvenuto Ospite

Forum Entomologi Italiani

www.entomologiitaliani.net/forum
 
Oggi è 25/11/2025, 19:37

Tutti gli orari sono UTC + 1 ora [ ora legale ]

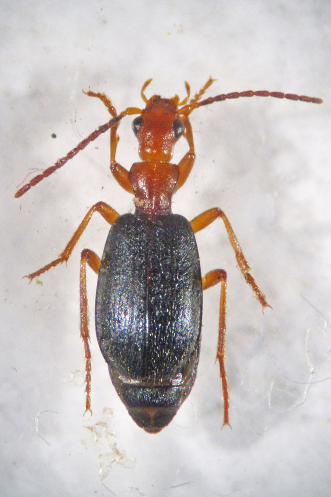
Brachinus (Brachinus) crepitans (Linnaeus, 1758) - Carabidae

19.VI.2012 - ITALIA - Emilia-Romagna - MO, Pavullo nel Frignano, località Falanello


nuovo argomento
rispondi
Pagina 1 di 1 [ 7 messaggi ]
Autore Messaggio
MessaggioInviato: 05/07/2012, 15:07 
Avatar utente

Iscritto il: 08/06/2011, 9:33
Messaggi: 71
Nome: marco trizzino
Ciao a tutti, mi potete confermare la specie?

Dimensioni 7 mm.

Raccolta con pitfall messe in un boschetto a prevalenza di pioppo nero a margine del fiume Panaro.

Ciao e grazie

Marco


Brachinus_crepitans1_rid.jpg

Top
profilo
 Oggetto del messaggio: Re: Brachinus crepitans?
MessaggioInviato: 06/07/2012, 15:19 
Avatar utente

Iscritto il: 12/07/2010, 15:33
Messaggi: 2313
Località: Casale Marittimo (PI)
Nome: Stefano Cosimi
ciao Marco
sembra lui ma per sicurezza guarda se ha l'addome nero e lunghe e rade setole sul margine basale delle elitre
:hi:

_________________
Stefano Cosimi


Top
profilo
 Oggetto del messaggio: Re: Brachinus crepitans?
MessaggioInviato: 06/07/2012, 18:06 
Avatar utente

Iscritto il: 08/06/2011, 9:33
Messaggi: 71
Nome: marco trizzino
Ciao!

Si ha la pubescenza sulle elitre!

Grazie mille.

Marco :)


Top
profilo
 Oggetto del messaggio: Re: Brachinus crepitans?
MessaggioInviato: 06/07/2012, 21:35 
Avatar utente

Iscritto il: 05/02/2009, 17:31
Messaggi: 9527
Località: milano
Nome: maurizio pavesi
ciao marco

un lapsus di stefano ;) ... devi verificare se oltre alla pubescenza, che c'è sempre, c'è una fila di setole sul margine apicale delle elitre, cioè l'orlo membranoso

_________________
*****************
Immagine maurizio


Top
profilo
 Oggetto del messaggio: Re: Brachinus crepitans?
MessaggioInviato: 07/07/2012, 11:50 
Avatar utente

Iscritto il: 12/07/2010, 15:33
Messaggi: 2313
Località: Casale Marittimo (PI)
Nome: Stefano Cosimi
gomphus ha scritto:
ciao marco

un lapsus di stefano ;) ... devi verificare se oltre alla pubescenza, che c'è sempre, c'è una fila di setole sul margine apicale delle elitre, cioè l'orlo membranoso


ammazza... a me mi da noia il caldo.... :bit
grazie Maurizio per la correzione!!

_________________
Stefano Cosimi


Top
profilo
 Oggetto del messaggio: Re: Brachinus crepitans?
MessaggioInviato: 09/07/2012, 9:08 
Avatar utente

Iscritto il: 08/06/2011, 9:33
Messaggi: 71
Nome: marco trizzino
gomphus ha scritto:
ciao marco

un lapsus di stefano ;) ... devi verificare se oltre alla pubescenza, che c'è sempre, c'è una fila di setole sul margine apicale delle elitre, cioè l'orlo membranoso


Ciao Maurizio

Ci sono setole piuttosto rade sull'orlo membranoso!


Top
profilo
 Oggetto del messaggio: Re: Brachinus crepitans?
MessaggioInviato: 15/07/2012, 18:42 
Avatar utente

Iscritto il: 05/02/2009, 17:31
Messaggi: 9527
Località: milano
Nome: maurizio pavesi
Brachinus (Brachinus) crepitans (Linnaeus, 1758)

_________________
*****************
Immagine maurizio


Top
profilo
Visualizza ultimi messaggi:  Ordina per  
nuovo argomento
rispondi
Pagina 1 di 1 [ 7 messaggi ]

Tutti gli orari sono UTC + 1 ora [ ora legale ]


Chi c’è in linea

Visitano il forum: Nessuno e 7 ospiti


Non puoi aprire nuovi argomenti
Non puoi rispondere negli argomenti
Non puoi modificare i tuoi messaggi
Non puoi cancellare i tuoi messaggi
Non puoi inviare allegati

Cerca per:
Vai a: