Benvenuto Ospite

Forum Entomologi Italiani

www.entomologiitaliani.net/forum
 
Oggi è 26/11/2025, 3:08

Tutti gli orari sono UTC + 1 ora [ ora legale ]

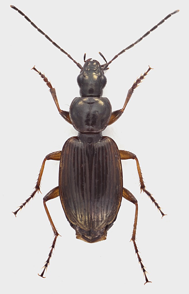
Agonum sordidum Dejean 1828 - Carabidae - Lazio

24.XI.2012 - ITALIA - Lazio - RM, Maccarese


nuovo argomento
rispondi
Pagina 1 di 1 [ 6 messaggi ]
Autore Messaggio
MessaggioInviato: 04/12/2012, 17:25 
Avatar utente

Iscritto il: 30/12/2009, 22:20
Messaggi: 31564
Località: Roma
Nome: Maurizio Gigli
Questo era nel terreno della sponda di un fosso.

Lazio, Roma, Maccarese, 24.XI.2012, M. Gigli legit

8,5 mm
Carabidae_Maccarese_23-XI-2012_grey.jpg


_________________
Maurizio Gigli
http://utenti.romascuola.net/bups
http://bup.xoom.it/


Top
profilo
 Oggetto del messaggio: Re: Carabidae - Lazio
MessaggioInviato: 04/12/2012, 18:53 
Avatar utente

Iscritto il: 05/02/2009, 17:44
Messaggi: 2684
Località: Garbagnate Milanese
Nome: Augusto Franzini
Agonum sordidum Dejean 1828 S.E. & O. perché non ho capito se è valido la ssp. gridellii.
:hi: :hi:

_________________
Augusto (aug)
Prediction is very difficult, especially about the future (Niels Bohr, fisico)


Top
profilo
 Oggetto del messaggio: Re: Carabidae - Lazio
MessaggioInviato: 04/12/2012, 19:20 
Avatar utente

Iscritto il: 30/12/2009, 22:20
Messaggi: 31564
Località: Roma
Nome: Maurizio Gigli
Grazie Augusto, ma che vuol dire
aug ha scritto:
S.E. & O.
?

_________________
Maurizio Gigli
http://utenti.romascuola.net/bups
http://bup.xoom.it/


Top
profilo
 Oggetto del messaggio: Re: Carabidae - Lazio
MessaggioInviato: 04/12/2012, 19:27 
Avatar utente

Iscritto il: 14/01/2010, 0:10
Messaggi: 3603
Località: Liguria, Genova
Nome: Giovanni Ratto
Sigla commerciale in calce alle fatture:
Salvo Errore & Omissione

;)

:hi:

_________________
ImmagineGiovanni
Pactolinus gigas (Paykull, 1811)


Top
profilo
 Oggetto del messaggio: Re: Carabidae - Lazio
MessaggioInviato: 04/12/2012, 20:15 
Avatar utente

Iscritto il: 05/02/2009, 17:44
Messaggi: 2684
Località: Garbagnate Milanese
Nome: Augusto Franzini
:ok: I Genovesi hanno il commercio nel DNA! :birra:

_________________
Augusto (aug)
Prediction is very difficult, especially about the future (Niels Bohr, fisico)


Top
profilo
 Oggetto del messaggio: Re: Carabidae - Lazio
MessaggioInviato: 04/12/2012, 20:42 
Avatar utente

Iscritto il: 06/02/2009, 9:01
Messaggi: 5005
Località: Castel Mella (Brescia)
Nome: Livio Mola
Pactolinus ha scritto:
Sigla commerciale in calce alle fatture:
Salvo Errore & Omissione

Giusto, però al plurale :)
Errori ed Omissioni sono sempre in agguato!

_________________
L'oca è ritenuto l'animale simbolo della stupidità, a causa delle sciocchezze che gli uomini hanno scritto con le sue penne.


Top
profilo
Visualizza ultimi messaggi:  Ordina per  
nuovo argomento
rispondi
Pagina 1 di 1 [ 6 messaggi ]

Tutti gli orari sono UTC + 1 ora [ ora legale ]


Chi c’è in linea

Visitano il forum: Nessuno e 4 ospiti


Non puoi aprire nuovi argomenti
Non puoi rispondere negli argomenti
Non puoi modificare i tuoi messaggi
Non puoi cancellare i tuoi messaggi
Non puoi inviare allegati

Cerca per:
Vai a:  
cron