Benvenuto Ospite

Forum Entomologi Italiani

www.entomologiitaliani.net/forum
 
Oggi è 21/05/2026, 19:06

Tutti gli orari sono UTC + 1 ora [ ora legale ]

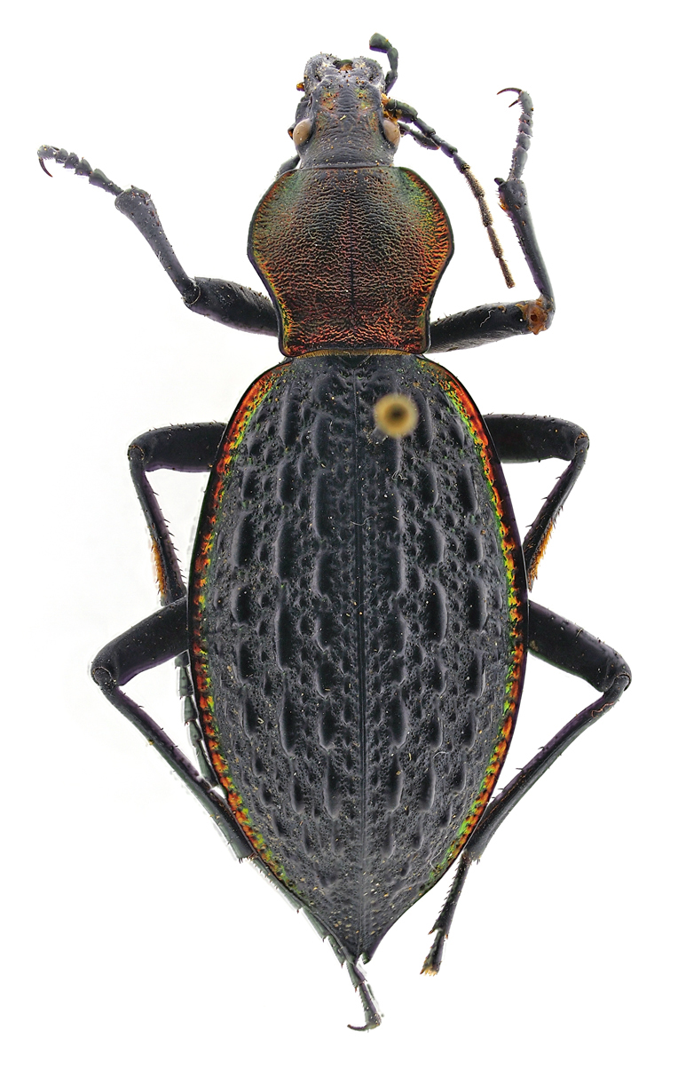
Carabus (Coptolabrus) nankotaizanus Kano, 1932 - Carabidae Carabidae

26.VII.1961 - TAIWAN, CINA PROVINCIA DI - EE, Hori


nuovo argomento
rispondi
Pagina 1 di 1 [ 1 messaggio ]
Autore Messaggio
MessaggioInviato: 29/04/2013, 13:59 
Avatar utente

Iscritto il: 10/05/2009, 15:30
Messaggi: 7183
Località: Ancona
Nome: Giacomo Giovagnoli
Un altro bel regalo di Manlio Andreucci. :birra:

Carabus (Coptolabrus) nankotaizanus Kano, 1932

Hori (Taiwan); 26.VII.1961; lg. Hung

[grazie zio per le foto!!! :birra: ]

Dimensioni: 42mm
Comb0763_28cr.jpg


Comb0764_29cr.jpg



Ciao :)

_________________
Immagine Giacomo


Top
profilo
Visualizza ultimi messaggi:  Ordina per  
nuovo argomento
rispondi
Pagina 1 di 1 [ 1 messaggio ]

Tutti gli orari sono UTC + 1 ora [ ora legale ]


Chi c’è in linea

Visitano il forum: Nessuno e 16 ospiti


Non puoi aprire nuovi argomenti
Non puoi rispondere negli argomenti
Non puoi modificare i tuoi messaggi
Non puoi cancellare i tuoi messaggi
Non puoi inviare allegati

Cerca per:
Vai a: