Benvenuto Ospite

Forum Entomologi Italiani

www.entomologiitaliani.net/forum
 
Oggi è 21/05/2026, 23:14

Tutti gli orari sono UTC + 1 ora [ ora legale ]

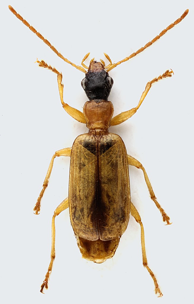
Demetrias (Demetrias) atricapillus (Linnaeus, 1758) - Carabidae

21.IV.2013 - ITALIA - Lazio - RM, Maccarese


nuovo argomento
rispondi
Pagina 1 di 1 [ 9 messaggi ]
Autore Messaggio
MessaggioInviato: 28/04/2013, 0:27 
Avatar utente

Iscritto il: 30/12/2009, 22:20
Messaggi: 31564
Località: Roma
Nome: Maurizio Gigli
Questo Carabidae era sotto foglie di Brassica.

Lazio, Roma, Maccarese, 21.IV.2013, M. Gigli legit

5,6 mm

Carabidae_Maccarese_21-IV-2013_5.6mm_grey.jpg


_________________
Maurizio Gigli
http://utenti.romascuola.net/bups
http://bup.xoom.it/


Top
profilo
 Oggetto del messaggio: Re: Carabidae - Lazio
MessaggioInviato: 28/04/2013, 1:31 
Avatar utente

Iscritto il: 09/06/2012, 20:57
Messaggi: 4283
Località: Mesola (FE)
Nome: Daniele Maccapani
Ciao Maurizio :)
Di norma non mi azzardo a dare opinioni sui carabidi :to:, ma con questo mi ci sono già "scontrato" (c'è un mio atricapillus anche sul forum) e credo di aver capito come distinguere le specie...
Il genere è Demetrias; la specie imperialis ha un disegno diverso, il dubbio è quindi fra monostigma e atricapillus... La macchia nera a forma di lancia e le dimensioni maggiori di 4,5mm indicano quasi certamente atricapillus; per averne la certezza bisogna vedere se dietro gli occhi presenta alcune setole e se le unghie presentano almeno tre dentelli lungo il margine interno. Se le tempie sono glabre e i dentelli sono al massimo due, allora è monostigma.
Spero di non ricevere delle :no1: :no1: :oops:

:hi:

_________________
"Lasciate questo mondo un po' migliore di come lo avete trovato" (Sir Robert Baden Powell)
Immagine Daniele


Top
profilo
 Oggetto del messaggio: Re: Carabidae - Lazio
MessaggioInviato: 28/04/2013, 7:43 
Avatar utente

Iscritto il: 30/12/2009, 22:20
Messaggi: 31564
Località: Roma
Nome: Maurizio Gigli
Grazie Daniele. Proverò a controllare i caratteri che hai indicato. Anzi, se trovo il tempo, li fotografo.

_________________
Maurizio Gigli
http://utenti.romascuola.net/bups
http://bup.xoom.it/


Top
profilo
 Oggetto del messaggio: Re: Carabidae - Lazio
MessaggioInviato: 28/04/2013, 10:31 
Avatar utente

Iscritto il: 09/06/2012, 20:57
Messaggi: 4283
Località: Mesola (FE)
Nome: Daniele Maccapani
Leggendo per caso qualche vecchia discussione, ho scoperto un'altro carattere che non conoscevo: l'atricapillus dovrebbe avere ali "normali", mentre il monostigma dovrebbe essere brachittero! Quindi direi che il tuo è senza dubbio atricapillus :ok:
Aspetto però che interengano veri esperti, per le :no1: :to:

:hi:

_________________
"Lasciate questo mondo un po' migliore di come lo avete trovato" (Sir Robert Baden Powell)
Immagine Daniele


Top
profilo
 Oggetto del messaggio: Re: Carabidae - Lazio
MessaggioInviato: 28/04/2013, 10:36 
Avatar utente

Iscritto il: 06/02/2009, 9:03
Messaggi: 6381
Località: Bubano di Mordano (Bologna)
Nome: Augusto Degiovanni
Cita:
Spero di non ricevere delle :no1: :no1: :oops:


Tutto giusto :ok: , solo una precisazione dai :gh: ......l'imperialis è del Sottogenere (Aetophorus), ma già dalla macchia si nota benissimo cos'è ;) .

_________________
CIAO :hi: Augusto Degiovanni

http://anthicidaeecarabidae.altervista.org


Top
profilo
 Oggetto del messaggio: Re: Carabidae - Lazio
MessaggioInviato: 28/04/2013, 12:59 
Avatar utente

Iscritto il: 09/06/2012, 20:57
Messaggi: 4283
Località: Mesola (FE)
Nome: Daniele Maccapani
Notoxus59 ha scritto:
Tutto giusto :ok:

Uff, meno male!! :to:
Notoxus59 ha scritto:
solo una precisazione dai :gh:

Beh dai, temevo peggio :gh:
Notoxus59 ha scritto:
ma già dalla macchia si nota benissimo cos'è ;) .

Scusa, solo per capire bene... Intendi che la forma della macchia scura ("a lancia") è un carattere sufficiente per confermare la specie? :roll:

Grazie, :hi:

_________________
"Lasciate questo mondo un po' migliore di come lo avete trovato" (Sir Robert Baden Powell)
Immagine Daniele


Top
profilo
 Oggetto del messaggio: Re: Carabidae - Lazio
MessaggioInviato: 28/04/2013, 17:55 
Avatar utente

Iscritto il: 06/02/2009, 9:03
Messaggi: 6381
Località: Bubano di Mordano (Bologna)
Nome: Augusto Degiovanni
Cita:
Scusa, solo per capire bene... Intendi che la forma della macchia scura ("a lancia") è un carattere sufficiente per confermare la specie? :roll:

Grazie, :hi:


Da parte mia si (ma parlo per me stesso), poi se ci sono forme estreme allora guardo la pubescenza delle tempie ;)

_________________
CIAO :hi: Augusto Degiovanni

http://anthicidaeecarabidae.altervista.org


Top
profilo
 Oggetto del messaggio: Re: Carabidae - Lazio
MessaggioInviato: 28/04/2013, 20:12 
Avatar utente

Iscritto il: 09/06/2012, 20:57
Messaggi: 4283
Località: Mesola (FE)
Nome: Daniele Maccapani
Grazie mille Augusto! :birra: :birra:

:hi: :hi:

_________________
"Lasciate questo mondo un po' migliore di come lo avete trovato" (Sir Robert Baden Powell)
Immagine Daniele


Top
profilo
 Oggetto del messaggio: Re: Carabidae - Lazio
MessaggioInviato: 28/04/2013, 20:49 
Avatar utente

Iscritto il: 08/05/2010, 22:25
Messaggi: 1463
Località: Milano
Nome: Riccardo Sciaky
La macchia elitrale a forma di lancia in D. atricapillus e a losanga in D. monostigma è già piuttosto certa come carattere. Se poi aggiungi lo sviluppo alare, in genere ti togli ogni dubbio. Forse può rimanere incerto un esemplare su 100, che magari ha le elitre molto sporche.

Quindi mi associo al 100% con Notoxus59 :lov2:

_________________
Riccardo


Top
profilo
Visualizza ultimi messaggi:  Ordina per  
nuovo argomento
rispondi
Pagina 1 di 1 [ 9 messaggi ]

Tutti gli orari sono UTC + 1 ora [ ora legale ]


Chi c’è in linea

Visitano il forum: Nessuno e 19 ospiti


Non puoi aprire nuovi argomenti
Non puoi rispondere negli argomenti
Non puoi modificare i tuoi messaggi
Non puoi cancellare i tuoi messaggi
Non puoi inviare allegati

Cerca per:
Vai a: