Benvenuto Ospite

Forum Entomologi Italiani

www.entomologiitaliani.net/forum
 
Oggi è 17/01/2026, 3:06

Tutti gli orari sono UTC + 1 ora [ ora legale ]

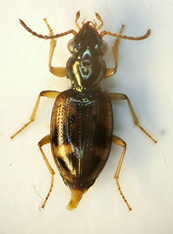
Trepanes (Trepanes) articulatus (Panzer, 1796) - Carabidae

2008 - ITALIA - Emilia-Romagna - BO, Sasso Marconi, Palazzo Rossi


nuovo argomento
rispondi
Pagina 1 di 1 [ 3 messaggi ]
Autore Messaggio
MessaggioInviato: 07/03/2009, 22:24 
Avatar utente

Iscritto il: 05/02/2009, 17:25
Messaggi: 4894
Località: Zola Predosa (BO)
Nome: Loris Colacurcio
Ed ecco il secondo misterioso coleottero....veramente ubiquitario, qui da me.

Coordinate di cattura:
EMILIA ROMAGNA - Sasso Marconi (BO), loc. Palazzo Rossi, autunno 2008.

Loris

Carabidino 02.jpg


_________________
Loris


Top
profilo
 Oggetto del messaggio: Re: Carabidino ripario 2
MessaggioInviato: 08/03/2009, 0:03 
Avatar utente

Iscritto il: 06/02/2009, 9:03
Messaggi: 6377
Località: Bubano di Mordano (Bologna)
Nome: Augusto Degiovanni
Questo è un Bembidino Trepanes articulatus (Panzer, 1796)

_________________
CIAO :hi: Augusto Degiovanni

http://anthicidaeecarabidae.altervista.org


Top
profilo
 Oggetto del messaggio: Re: Carabidino ripario 2
MessaggioInviato: 08/03/2009, 0:47 
Avatar utente

Iscritto il: 05/02/2009, 17:31
Messaggi: 9527
Località: milano
Nome: maurizio pavesi
:ok:

_________________
*****************
Immagine maurizio


Top
profilo
Visualizza ultimi messaggi:  Ordina per  
nuovo argomento
rispondi
Pagina 1 di 1 [ 3 messaggi ]

Tutti gli orari sono UTC + 1 ora [ ora legale ]


Chi c’è in linea

Visitano il forum: Nessuno e 1 ospite


Non puoi aprire nuovi argomenti
Non puoi rispondere negli argomenti
Non puoi modificare i tuoi messaggi
Non puoi cancellare i tuoi messaggi
Non puoi inviare allegati

Cerca per:
Vai a:  
cron