Benvenuto Ospite

Forum Entomologi Italiani

www.entomologiitaliani.net/forum
 
Oggi è 31/03/2026, 21:09

Tutti gli orari sono UTC + 1 ora [ ora legale ]

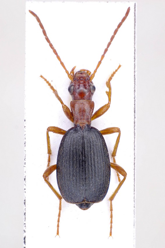
Brachinus (Brachinoaptinus) dilapsus Antoine, 1941 (cf.) - Carabidae

10.XII.2004 - MAROCCO - EE, NW Morocco, 35.12N/06.07W Larache env., 5-60 m 10-17.XII.2004


nuovo argomento
rispondi
Pagina 1 di 1 [ 5 messaggi ]
Autore Messaggio
MessaggioInviato: 17/10/2013, 20:44 
Avatar utente

Iscritto il: 06/02/2009, 9:03
Messaggi: 6379
Località: Bubano di Mordano (Bologna)
Nome: Augusto Degiovanni
Settimo Carabidae Brachinus sp ?

Lunghezza: 7,5 mm

tn_bra.JPG


_________________
CIAO :hi: Augusto Degiovanni

http://anthicidaeecarabidae.altervista.org


Top
profilo
 Oggetto del messaggio: Re: Carabidae 7 Brachinus
MessaggioInviato: 17/10/2013, 22:12 
Avatar utente

Iscritto il: 05/02/2009, 17:47
Messaggi: 7252
Località: Cagliari
Nome: Piero Leo
Non semplice... mi parrebbe un Brachinoaptinus.
Le elitre sono nere (come le vedo sul mio monitor) o con riflessi metallici bluastri? Addome tutto nero?
Bordo membranoso della troncatura apicale delle elitre con frangia di setole ben visibili o privo di frangia?

:) Ciao
Piero


Top
profilo
 Oggetto del messaggio: Re: Carabidae 7 Brachinus
MessaggioInviato: 18/10/2013, 14:45 
Avatar utente

Iscritto il: 06/02/2009, 9:03
Messaggi: 6379
Località: Bubano di Mordano (Bologna)
Nome: Augusto Degiovanni
Caro Piero,
ritorno ora dal lavoro, e confermo che le elitre sono nere senza riflesso, addome completamente nero, e il bordo membranoso è simile a quello dell' immaculicornis, membranoso con micro pubescenza fittissima, che si vede a forti ingrandimenti.

_________________
CIAO :hi: Augusto Degiovanni

http://anthicidaeecarabidae.altervista.org


Top
profilo
 Oggetto del messaggio: Re: Carabidae 7 Brachinus
MessaggioInviato: 18/10/2013, 19:39 
Avatar utente

Iscritto il: 05/02/2009, 17:47
Messaggi: 7252
Località: Cagliari
Nome: Piero Leo
:) Ciao Augusto.
Se non ci sono altri pareri io sarei propenderei per Brachinus (Brachinoaptinus) dilapsus Antoine, 1941 cf. Brachinus dilapsus è una specie diffusa nel nord-ovest del Marocco.
Il "cf." è d'obbligo visto il gruppo comunque difficile anche con materiale sotto il bonoculare.

:) Ciao
Piero


Top
profilo
 Oggetto del messaggio: Re: Carabidae 7 Brachinus
MessaggioInviato: 18/10/2013, 20:43 
Avatar utente

Iscritto il: 06/02/2009, 9:03
Messaggi: 6379
Località: Bubano di Mordano (Bologna)
Nome: Augusto Degiovanni
Grazie Piero :ok: ,
poi se può servire fotografo l'edeago, sai io non ho pensato di estrarlo perché mi sembrava una bestia un po' particolare (lo sai che non ne so molto di fauna extra italiana).

_________________
CIAO :hi: Augusto Degiovanni

http://anthicidaeecarabidae.altervista.org


Top
profilo
Visualizza ultimi messaggi:  Ordina per  
nuovo argomento
rispondi
Pagina 1 di 1 [ 5 messaggi ]

Tutti gli orari sono UTC + 1 ora [ ora legale ]


Chi c’è in linea

Visitano il forum: Nessuno e 1 ospite


Non puoi aprire nuovi argomenti
Non puoi rispondere negli argomenti
Non puoi modificare i tuoi messaggi
Non puoi cancellare i tuoi messaggi
Non puoi inviare allegati

Cerca per:
Vai a: