Forum Entomologi Italiani
https://www.entomologiitaliani.net/public/forum/phpbb3/

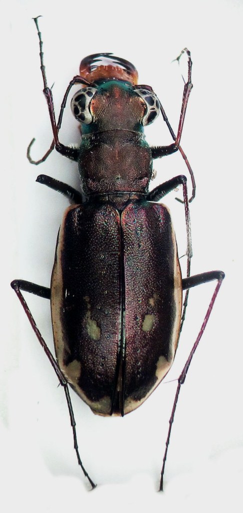
Cephalota (Taenidia) tibialis lyoni (Vigors, 1825) - Carabidae Cicindelinae - Tunisia
https://www.entomologiitaliani.net/public/forum/phpbb3/viewtopic.php?f=143&t=50579
Pagina 1 di 1

Autore:  Guido Sabatinelli [ 26/01/2014, 8:08 ]
Oggetto del messaggio:  Cephalota (Taenidia) tibialis lyoni (Vigors, 1825) - Carabidae Cicindelinae - Tunisia

Una bella cicindela difficile da catturare con le mani....
Se la mia identificazione è giusta si tratta di una new entry per il Forum!

Allegati:
Cephalota (Taenidia) tibialis (Dejean, 1822).JPG


Autore:  Julodis [ 26/01/2014, 8:37 ]
Oggetto del messaggio:  Re: Cephalota (Taenidia) tibialis (Dejean, 1822)? - Tunisia

Bella bestia, dal disegno particolare. Purtroppo io non sono in grado di confermarti la specie.
Tutti gli esemplari avevano il margine elitrale così conformato, o solo questo?

Autore:  Guido Sabatinelli [ 26/01/2014, 16:19 ]
Oggetto del messaggio:  Re: Cephalota (Taenidia) tibialis (Dejean, 1822)? - Tunisia

Julodis ha scritto:
Bella bestia, dal disegno particolare. Purtroppo io non sono in grado di confermarti la specie.
Tutti gli esemplari avevano il margine elitrale così conformato, o solo questo?

Ne ho raccolto solo un esemplare perchè mi sembrava non fosse interessante....

Autore:  gomphus [ 26/01/2014, 16:40 ]
Oggetto del messaggio:  Re: Cephalota (Taenidia) tibialis (Dejean, 1822)? - Tunisia

Guido Sabatinelli ha scritto:
Ne ho raccolto solo un esemplare perchè mi sembrava non fosse interessante....

:war0:

Cephalota (Taenidia) tibialis lyoni (Vigors, 1825)

già Cephalota lyoni ;)

Autore:  Wael [ 26/01/2014, 16:46 ]
Oggetto del messaggio:  Re: Cephalota (Taenidia) tibialis lyoni (Vigors, 1825) - Carabidae Cicindelinae - Tunisia

Elle côtoie L.flexuosa le long de la rivière de Cap serrat ainsi que sur la plage ! tu l'as trouvé près de la rivière Guido ?

Autore:  Guido Sabatinelli [ 26/01/2014, 18:58 ]
Oggetto del messaggio:  Re: Cephalota (Taenidia) tibialis lyoni (Vigors, 1825) - Carabidae Cicindelinae - Tunisia

Wael ha scritto:
Elle côtoie L.flexuosa le long de la rivière de Cap serrat ainsi que sur la plage ! tu l'as trouvé près de la rivière Guido ?

Oui le long de la rivière.

Pagina 1 di 1 Tutti gli orari sono UTC + 1 ora [ ora legale ]
Powered by phpBB® Forum Software © phpBB Group
http://www.phpbb.com/