Benvenuto Ospite

Forum Entomologi Italiani

www.entomologiitaliani.net/forum
 
Oggi è 30/03/2026, 15:58

Tutti gli orari sono UTC + 1 ora [ ora legale ]

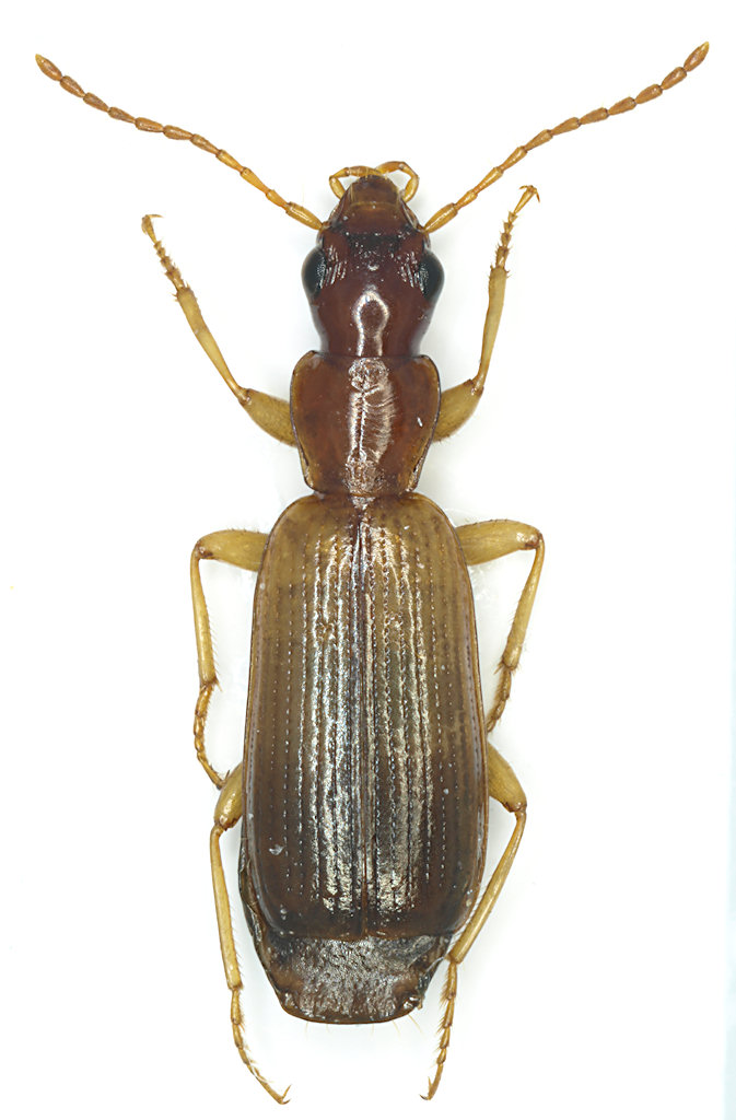
Paradromius (Manodromius) linearis (Olivier, 1795) - Carabidae

7.II.2010 - ITALIA - Lazio - RM, Monti della Tolfa


nuovo argomento
rispondi
Pagina 1 di 1 [ 5 messaggi ]
Autore Messaggio
MessaggioInviato: 12/02/2010, 1:19 
Avatar utente

Iscritto il: 30/12/2009, 22:20
Messaggi: 31564
Località: Roma
Nome: Maurizio Gigli
Ecco un piccolo Carabidae che ho preso l'altro giorno sui Monti della Tolfa, sotto un pezzo di corteccia al suolo (7.II.2010)
lunghezza: 5,5 mm

Carabidae_Tolfa_7-II-2010.jpg



Eccolo anche in natura, piuttosto infreddolito.

Carabidae_Tolfa_7-II-2010_2.jpg


_________________
Maurizio Gigli
http://utenti.romascuola.net/bups
http://bup.xoom.it/


Top
profilo
 Oggetto del messaggio: Re: Carabidae Lazio (Tolfa)
MessaggioInviato: 12/02/2010, 1:30 
Avatar utente

Iscritto il: 22/05/2009, 21:00
Messaggi: 2781
Località: Pergine Valsugana (TN)
Nome: Andrea Carlin
Potrebbe essere il Paradromius linearis..... :? vedi qui: viewtopic.php?f=143&t=2593&hilit=paradromius

:hi: :hi: :hi:

_________________
Andrea Carlin, Pergine Valsugana (TN) carlin.andrea(AT)gmail.com

Nota: tutti gli esemplari inseriti nelle discussioni aperte da me sono da ritenere "Andrea Carlin legit" se non diversamente specificato.


Top
profilo
 Oggetto del messaggio: Re: Carabidae Lazio (Tolfa)
MessaggioInviato: 12/02/2010, 1:35 
Avatar utente

Iscritto il: 30/12/2009, 22:20
Messaggi: 31564
Località: Roma
Nome: Maurizio Gigli
In effetti sembrerebbe lui.
Grazie.

_________________
Maurizio Gigli
http://utenti.romascuola.net/bups
http://bup.xoom.it/


Top
profilo
 Oggetto del messaggio: Re: Carabidae Lazio (Tolfa)
MessaggioInviato: 12/02/2010, 8:18 
Avatar utente

Iscritto il: 05/02/2009, 17:44
Messaggi: 2695
Località: Garbagnate Milanese
Nome: Augusto Franzini
E' lui!

_________________
Augusto (aug)
Prediction is very difficult, especially about the future (Niels Bohr, fisico)


Top
profilo
MessaggioInviato: 12/02/2010, 18:10 
Avatar utente

Iscritto il: 30/12/2009, 22:20
Messaggi: 31564
Località: Roma
Nome: Maurizio Gigli
Grazie a tutti. Altro esemplare da togliere dal mucchio degli indeterminati :)

_________________
Maurizio Gigli
http://utenti.romascuola.net/bups
http://bup.xoom.it/


Top
profilo
Visualizza ultimi messaggi:  Ordina per  
nuovo argomento
rispondi
Pagina 1 di 1 [ 5 messaggi ]

Tutti gli orari sono UTC + 1 ora [ ora legale ]


Chi c’è in linea

Visitano il forum: Nessuno e 6 ospiti


Non puoi aprire nuovi argomenti
Non puoi rispondere negli argomenti
Non puoi modificare i tuoi messaggi
Non puoi cancellare i tuoi messaggi
Non puoi inviare allegati

Cerca per:
Vai a:  
cron