Benvenuto Ospite

Forum Entomologi Italiani

www.entomologiitaliani.net/forum
 
Oggi è 17/01/2026, 10:01

Tutti gli orari sono UTC + 1 ora [ ora legale ]

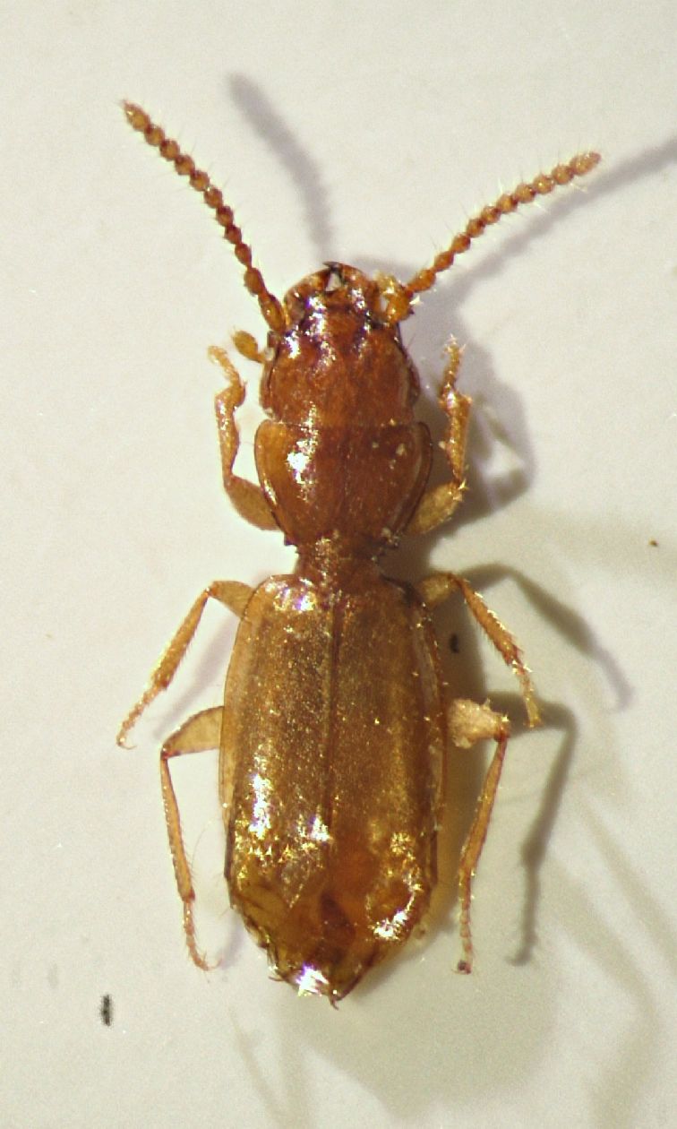
Scotodipnus armelliniae (Ganglbauer, 1900) - Carabidae

26.V.2014 - ITALIA - Trentino-Alto Adige - TN, Vallarsa - Pian delle Fugazze


nuovo argomento
rispondi
Pagina 1 di 1 [ 5 messaggi ]
Autore Messaggio
MessaggioInviato: 07/06/2014, 16:11 
Avatar utente

Iscritto il: 05/02/2009, 17:25
Messaggi: 4894
Località: Zola Predosa (BO)
Nome: Loris Colacurcio
Una recentissima quanto veloce puntata verso il Trentino, in compagni di Augusto, ci ha fruttato una serietta di questo bel carabide. A memoria ricordo che dovrebbe essere uno Scotodipnus, ma in rete trovo anche delle citazioni per Binaghites....ai carabari, l'ardua sentenza :D

Da segnalare, per quest'uscita, una vera miseria in pselafidi....ed un persistente quanto antipatica pioggia che ci ha accompagnato per tutta la giornata, per poi smettere quando stavamo tornando a casa ! :x
Se piove, le bestiole di profondità sono poche.....o almeno è quanto succede al sottoscritto :cry:

Lunghezza: sui 2 mm o poco più

armillae01.JPG


_________________
Loris


Top
profilo
MessaggioInviato: 08/06/2014, 10:39 
 

Iscritto il: 30/07/2010, 8:40
Messaggi: 596
Nome: vittorino.monzini
credo sia un Binaghites, tra l'altro una bestiola niente male, mi è capitato di andarla a cercare, purtroppo invano


Top
profilo
MessaggioInviato: 09/06/2014, 9:11 
Avatar utente

Iscritto il: 05/02/2009, 17:25
Messaggi: 4894
Località: Zola Predosa (BO)
Nome: Loris Colacurcio
Vada per Binaghites; come già detto non mi ricordo....se interessa, direi che non ci sono problemi :ok:
Sarà anche una bella bestiola, ma per uno che cercava pselafidi (sotto l'acqua :x ) rimane solo un carabide....certo è anoftlamo e questo mi procura sempre delle "belle" emozioni, ma rimane pur sempre un semplice carabide ;)
E da quelle parte ci sono degli pselafidi da urlo ... :cry:

:hi:

_________________
Loris


Top
profilo
MessaggioInviato: 09/06/2014, 9:18 
Avatar utente

Iscritto il: 08/11/2010, 12:40
Messaggi: 1722
Località: Brescia
Nome: Mauro Agosti
Nel lavoro di Magrini citato in questa discussione, c'è un chiarimento sulla posizione generica di Binaghites che farebbe ricadere la specie in questione proprio in questo genere.

PS Scambio uno pselafide per un "semplice carabide" anoftalmo :mrgreen: :mrgreen:


Top
profilo
MessaggioInviato: 09/06/2014, 11:16 
 

Iscritto il: 30/07/2010, 8:40
Messaggi: 596
Nome: vittorino.monzini
Loriscola ha scritto:
Vada per Binaghites; come già detto non mi ricordo....se interessa, direi che non ci sono problemi :ok:
Sarà anche una bella bestiola, ma per uno che cercava pselafidi (sotto l'acqua :x ) rimane solo un carabide....certo è anoftlamo e questo mi procura sempre delle "belle" emozioni, ma rimane pur sempre un semplice carabide ;)
E da quelle parte ci sono degli pselafidi da urlo ... :cry:

:hi:
grazie, volentieri, magari ci potremmo trovare alla prossima Entomodena :hi:


Top
profilo
Visualizza ultimi messaggi:  Ordina per  
nuovo argomento
rispondi
Pagina 1 di 1 [ 5 messaggi ]

Tutti gli orari sono UTC + 1 ora [ ora legale ]


Chi c’è in linea

Visitano il forum: Bing [Bot] e 2 ospiti


Non puoi aprire nuovi argomenti
Non puoi rispondere negli argomenti
Non puoi modificare i tuoi messaggi
Non puoi cancellare i tuoi messaggi
Non puoi inviare allegati

Cerca per:
Vai a:  
cron