Forum Entomologi Italiani
https://www.entomologiitaliani.net/public/forum/phpbb3/

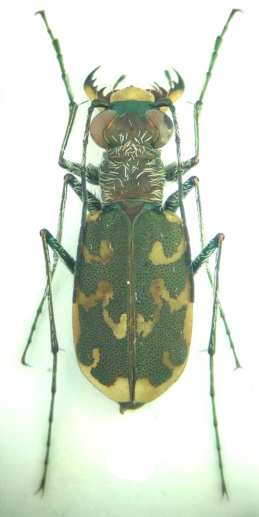
Cylindera (Eugrapha) arenaria arenaria (Füessly, 1775) - Carabidae
https://www.entomologiitaliani.net/public/forum/phpbb3/viewtopic.php?f=143&t=54706
Pagina 1 di 1

Autore:  Mikiphasmide [ 01/07/2014, 0:04 ]
Oggetto del messaggio:  Cylindera (Eugrapha) arenaria arenaria (Füessly, 1775) - Carabidae

Stranamente non c'era ancora sul forum la sottospecie nominale e un esemplare italiano.
Trovata localmente comune sui banchi di sabbia e limo del Torrente Enza.
10 mm

Allegati:
P1500307.jpg


Autore:  Honza [ 01/07/2014, 6:30 ]
Oggetto del messaggio:  Re: Cylindera (Eugrapha) arenaria arenaria (Fuessly, 1775)

+ Cylindera (Eugrapha) arenaria viennensis (Schrank, 1781)
CZ - Bukovina nad Labem

Allegati:
DSC_0003.JPG

DSC_0001.JPG

BV9F2892.jpg

C.(Cylindera)     arenaria        viennens Schrank, 1781.jpg


Autore:  Mikiphasmide [ 02/07/2014, 19:59 ]
Oggetto del messaggio:  Re: Cylindera (Eugrapha) arenaria arenaria (Fuessly, 1775)

Oggi sono tornato sul posto per verificare che girassero ancora, e per provare a fare foto in natura degli esemplari e dell'ambiente:

Allegati:
P1500339.jpg

P1500366.jpg

P1500362.jpg

P1500360.jpg

P1500357.jpg

P1500352.jpg


Autore:  vittorino monzini [ 02/07/2014, 20:49 ]
Oggetto del messaggio:  Re: Cylindera (Eugrapha) arenaria arenaria (Fuessly, 1775)

molto belle le foto, anche il caratteristico ambiente di ritrovamento corrisponde perfettamente a quelli che anch'io ho verificato in altri siti, per questa bella e rara specie :hi:

Autore:  Andricus [ 02/07/2014, 20:51 ]
Oggetto del messaggio:  Re: Cylindera (Eugrapha) arenaria arenaria (Fuessly, 1775)

Molto belle. I buchi nel terreno dell'ultima foto sono delle loro larve?

Autore:  MAPKOΣ [ 02/07/2014, 21:27 ]
Oggetto del messaggio:  Re: Cylindera (Eugrapha) arenaria arenaria (Fuessly, 1775)

bellissime !!!!!!!!!!!!!! :birra: :birra:

Autore:  Mikiphasmide [ 02/07/2014, 21:35 ]
Oggetto del messaggio:  Re: Cylindera (Eugrapha) arenaria arenaria (Fuessly, 1775)

Grazie Vittorino e... Marchi :D :birra: Se quelli siano i fori delle larve non te lo so dire, e non ci avevo neanche fatto caso. Ora che me lo hai detto si vede qualcosa che affiora da un foro molto simile ad una larva di cicindelide (vedi foto sul forum...)

Autore:  MAPKOΣ [ 02/07/2014, 22:42 ]
Oggetto del messaggio:  Re: Cylindera (Eugrapha) arenaria arenaria (Fuessly, 1775)

:ok: :ok: sono proprio i fori delle larve , almeno nei posti dove li ho visti io sono uguali a quelli

Pagina 1 di 1 Tutti gli orari sono UTC + 1 ora [ ora legale ]
Powered by phpBB® Forum Software © phpBB Group
http://www.phpbb.com/