Forum Entomologi Italiani
https://www.entomologiitaliani.net/public/forum/phpbb3/

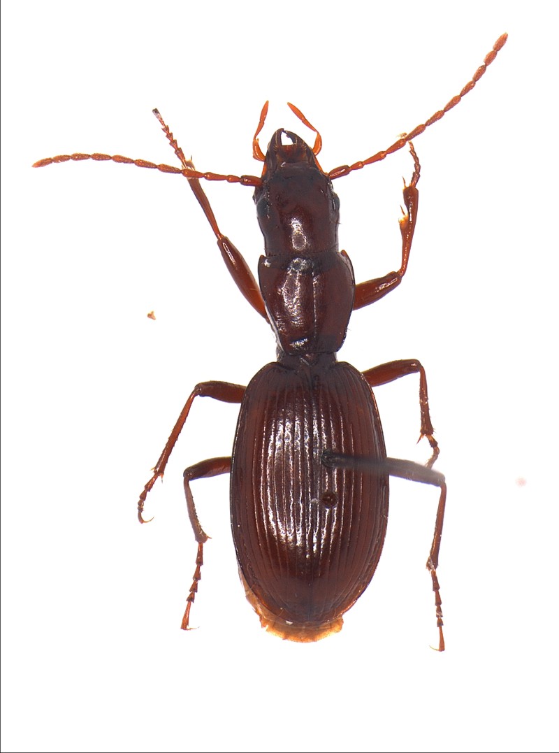
Agelaea fulva Gené, 1839 - Carabidae
https://www.entomologiitaliani.net/public/forum/phpbb3/viewtopic.php?f=143&t=623
Pagina 1 di 1

Autore:  Hemerobius [ 31/03/2009, 17:34 ]
Oggetto del messaggio:  Agelaea fulva Gené, 1839 - Carabidae

Sardegna, Ontaneti cacuminali del Gennargentu.
Ho descritto l'ambiente di cattura in questa discussione. Adesso cominciamo a postare materiale.

Fonni (sito 1); 9 gennaio 2007; trappola a caduta; 7-8 mm
Car10_Fonni1_09Genn07_Caduta_7-8.jpg


Di questa mi chiede il copyright Aug

Roberto :to:

Autore:  aug [ 31/03/2009, 17:45 ]
Oggetto del messaggio:  Re: Carabide 10 - Ontaneti cacuminali Gennargentu

Veramente trattasi di Agelea fulva Gené. In realtà, la prima che si abbiamo ritrovata dopo quelle mitiche di Gené (era il 1972, credo) la ha beccata mio fratello (gabrif) a Monte Spada. Fra l'altro, buffo, temo che la foto del mio avatar sia targata Notoxus59, perchè la ho ripresa da un sito russo e c'è scritto che legit Degiovanni!
aug

Autore:  Notoxus59 [ 31/03/2009, 20:45 ]
Oggetto del messaggio:  Re: Carabide 10 - Ontaneti cacuminali Gennargentu

Ma dai Augusto :D , mi fa piacere non lo sapevo, penso sia una di quelle che avevo spedito a Solodovnikov, in Ukraina.

Ciao

Pagina 1 di 1 Tutti gli orari sono UTC + 1 ora [ ora legale ]
Powered by phpBB® Forum Software © phpBB Group
http://www.phpbb.com/