Benvenuto Ospite

Forum Entomologi Italiani

www.entomologiitaliani.net/forum
 
Oggi è 30/03/2026, 15:11

Tutti gli orari sono UTC + 1 ora [ ora legale ]

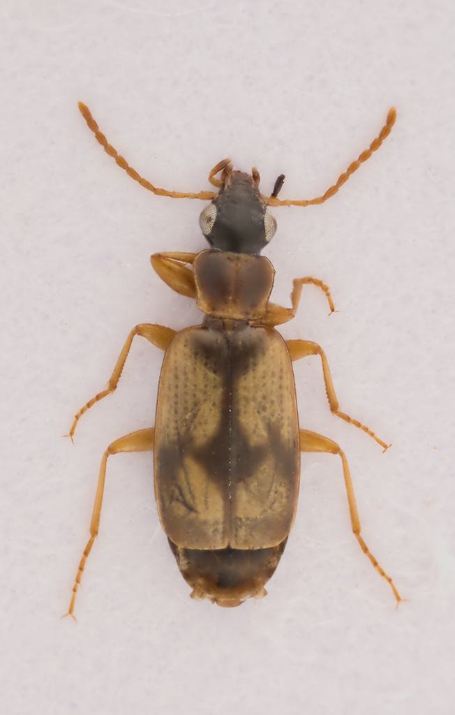
Philorhizus crucifer crucifer (Lucas, 1846) - Carabidae

III.2015 - ITALIA - Sicilia - PA, Piana degli Albanesi


nuovo argomento
rispondi
Pagina 1 di 1 [ 3 messaggi ]
Autore Messaggio
MessaggioInviato: 18/11/2015, 18:02 
 

Iscritto il: 07/09/2015, 15:59
Messaggi: 178
Località: Marsiliana, Manciano. Grosseto
Nome: Matteo Lausetti
Forse Philorhizus crucifer (Lucas 1846)

Dimensioni: 5mm

Località: Palermo, Piana degli Albanesi

Marzo 2015


31.jpg

Top
profilo
 Oggetto del messaggio: Re: Carabidae, Philorhizus ?
MessaggioInviato: 19/11/2015, 8:16 
Avatar utente

Iscritto il: 06/02/2009, 9:03
Messaggi: 6379
Località: Bubano di Mordano (Bologna)
Nome: Augusto Degiovanni
E' lui :ok: forma tipica.

_________________
CIAO :hi: Augusto Degiovanni

http://anthicidaeecarabidae.altervista.org


Top
profilo
 Oggetto del messaggio: Re: Carabidae, Philorhizus ?
MessaggioInviato: 19/11/2015, 9:45 
 

Iscritto il: 07/09/2015, 15:59
Messaggi: 178
Località: Marsiliana, Manciano. Grosseto
Nome: Matteo Lausetti
Notoxus59 ha scritto:
E' lui :ok: forma tipica.



Grazie Augusto :) :)


Top
profilo
Visualizza ultimi messaggi:  Ordina per  
nuovo argomento
rispondi
Pagina 1 di 1 [ 3 messaggi ]

Tutti gli orari sono UTC + 1 ora [ ora legale ]


Chi c’è in linea

Visitano il forum: Nessuno e 16 ospiti


Non puoi aprire nuovi argomenti
Non puoi rispondere negli argomenti
Non puoi modificare i tuoi messaggi
Non puoi cancellare i tuoi messaggi
Non puoi inviare allegati

Cerca per:
Vai a:  
cron