Benvenuto Ospite

Forum Entomologi Italiani

www.entomologiitaliani.net/forum
 
Oggi è 18/01/2026, 16:08

Tutti gli orari sono UTC + 1 ora [ ora legale ]

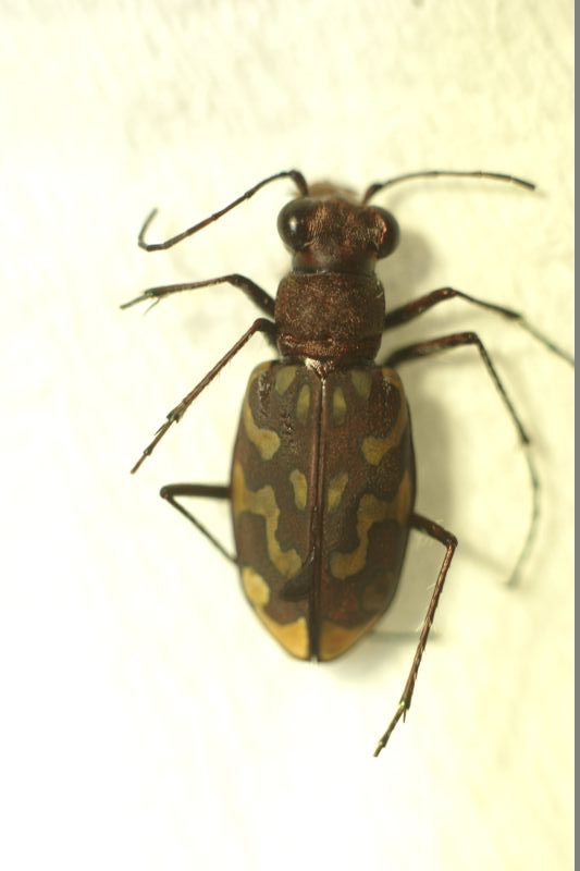
Lophyra (Lophyra) flexuosa flexuosa (Fabricius, 1787) - Carabidae Cicindelinae

27.III.2016 - MAROCCO - EE, Oued Massa, Agadir


nuovo argomento
rispondi
Pagina 1 di 1 [ 3 messaggi ]
Autore Messaggio
MessaggioInviato: 22/04/2016, 15:42 
 

Iscritto il: 09/08/2013, 15:35
Messaggi: 1260
Nome: Andrea marata
Salve,
è lei?
dimensioni 10mm
Grazie
Andrea :hi:
DSC01898.jpg


DSC01897.jpg


DSC01896.jpg



Top
profilo
MessaggioInviato: 22/04/2016, 16:22 
Avatar utente

Iscritto il: 25/02/2016, 23:42
Messaggi: 132
Località: Foligno
Nome: Angelo Pennisi
:ok: Lophyra flexuosa flexuosa Fab. 1987

_________________
"La vita e' bella specialmente quando si ha la possibilita'
di dedicarla alle proprie passioni."


Angelo Pennisi


Top
profilo
MessaggioInviato: 22/04/2016, 17:58 
 

Iscritto il: 09/08/2013, 15:35
Messaggi: 1260
Nome: Andrea marata
Grazie
Andrea :hi:


Top
profilo
Visualizza ultimi messaggi:  Ordina per  
nuovo argomento
rispondi
Pagina 1 di 1 [ 3 messaggi ]

Tutti gli orari sono UTC + 1 ora [ ora legale ]


Chi c’è in linea

Visitano il forum: Marco Ferrante e 4 ospiti


Non puoi aprire nuovi argomenti
Non puoi rispondere negli argomenti
Non puoi modificare i tuoi messaggi
Non puoi cancellare i tuoi messaggi
Non puoi inviare allegati

Cerca per:
Vai a: