Benvenuto Ospite

Forum Entomologi Italiani

www.entomologiitaliani.net/forum
 
Oggi è 22/05/2026, 13:36

Tutti gli orari sono UTC + 1 ora [ ora legale ]

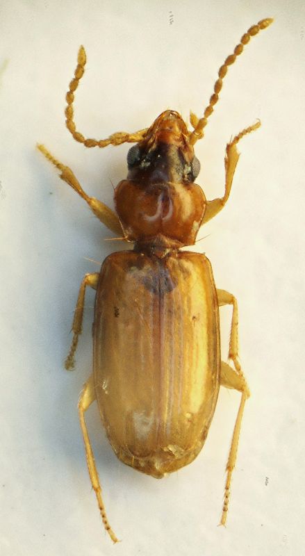
Paratachys micros (Fischer von Waldheim 1828) - Carabidae

19.IV.2009 - ITALIA - Emilia-Romagna - BO, Sasso Marconi, Palazzo Rossi


nuovo argomento
rispondi
Pagina 1 di 1 [ 2 messaggi ]
Autore Messaggio
MessaggioInviato: 21/04/2009, 21:11 
Avatar utente

Iscritto il: 05/02/2009, 17:25
Messaggi: 4894
Località: Zola Predosa (BO)
Nome: Loris Colacurcio
Posso dire che il primo sia un T. micros ??

Entrambi raccolti sotto pietre a Sasso Marconi (BO) - P.zzo Rossi 19.IV.2009
lunghezza approx. 2 mm.

(Carabidi) Mini 02.jpg



Questo invece è leggermente più grande, circa 2,2 mm. E' un'altra specie, nevvero ?? :no1:

(Carabidi) Mini 01.jpg



Loris

_________________
Loris


Top
profilo
MessaggioInviato: 21/04/2009, 21:46 
Avatar utente

Iscritto il: 06/02/2009, 9:03
Messaggi: 6381
Località: Bubano di Mordano (Bologna)
Nome: Augusto Degiovanni
A mè sembrano la stessa specie, la prima un po più immatura e confermerei P. micros

Ciao

_________________
CIAO :hi: Augusto Degiovanni

http://anthicidaeecarabidae.altervista.org


Top
profilo
Visualizza ultimi messaggi:  Ordina per  
nuovo argomento
rispondi
Pagina 1 di 1 [ 2 messaggi ]

Tutti gli orari sono UTC + 1 ora [ ora legale ]


Chi c’è in linea

Visitano il forum: Nessuno e 11 ospiti


Non puoi aprire nuovi argomenti
Non puoi rispondere negli argomenti
Non puoi modificare i tuoi messaggi
Non puoi cancellare i tuoi messaggi
Non puoi inviare allegati

Cerca per:
Vai a: