Benvenuto Ospite

Forum Entomologi Italiani

www.entomologiitaliani.net/forum
 
Oggi è 19/01/2026, 22:28

Tutti gli orari sono UTC + 1 ora [ ora legale ]

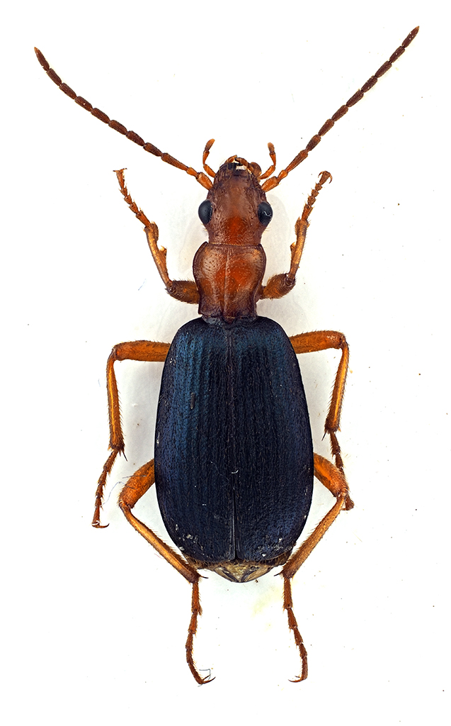
Brachinus (Brachinus) crepitans (Linnaeus, 1758) - Carabidae

24.IX.2017 - ITALIA - Marche - AN, Ancona


nuovo argomento
rispondi
Pagina 1 di 1 [ 5 messaggi ]
Autore Messaggio
MessaggioInviato: 17/12/2017, 22:08 
Avatar utente

Iscritto il: 10/05/2009, 15:30
Messaggi: 7182
Località: Ancona
Nome: Giacomo Giovagnoli
Ancona; 24.IX.2017

Brachinus...??? :roll:

[grazie zio per le foto!!! :birra: ]

Dimensioni: 10mm
CombM2485_31zL6cr.jpg


CombM2486_53zL6cr.jpg


CombM2487_120zL6cr.jpg



Ciao :)

_________________
Immagine Giacomo


Top
profilo
 Oggetto del messaggio: Re: Brachinus da ID - Carabidae
MessaggioInviato: 18/12/2017, 21:44 
Avatar utente

Iscritto il: 14/03/2009, 12:59
Messaggi: 3246
Località: Milano
Nome: Gabriele Franzini
Setole sul bordo apicale delle elitre? Colore del lato ventrale?

:hi: :hi: G.


Top
profilo
 Oggetto del messaggio: Re: Brachinus da ID - Carabidae
MessaggioInviato: 18/12/2017, 22:38 
Avatar utente

Iscritto il: 10/05/2009, 15:30
Messaggi: 7182
Località: Ancona
Nome: Giacomo Giovagnoli
Quando vado dai miei lo controllo.

_________________
Immagine Giacomo


Top
profilo
 Oggetto del messaggio: Re: Brachinus da ID - Carabidae
MessaggioInviato: 20/12/2017, 12:39 
Avatar utente

Iscritto il: 12/07/2010, 15:33
Messaggi: 2316
Località: Casale Marittimo (PI)
Nome: Stefano Cosimi
gabrif ha scritto:
Setole sul bordo apicale delle elitre? Colore del lato ventrale?

:hi: :hi: G.

nella prima foto si vedono le setole lunghe e rade. Se il colore dell'addome fosse nero allora dovrebbe essere un B. crepitans
:hi:

_________________
Stefano Cosimi


Top
profilo
 Oggetto del messaggio: Re: Brachinus da ID - Carabidae
MessaggioInviato: 25/12/2017, 17:21 
Avatar utente

Iscritto il: 10/05/2009, 15:30
Messaggi: 7182
Località: Ancona
Nome: Giacomo Giovagnoli
Addome nero! :ok:

_________________
Immagine Giacomo


Top
profilo
Visualizza ultimi messaggi:  Ordina per  
nuovo argomento
rispondi
Pagina 1 di 1 [ 5 messaggi ]

Tutti gli orari sono UTC + 1 ora [ ora legale ]


Chi c’è in linea

Visitano il forum: Calathus e 2 ospiti


Non puoi aprire nuovi argomenti
Non puoi rispondere negli argomenti
Non puoi modificare i tuoi messaggi
Non puoi cancellare i tuoi messaggi
Non puoi inviare allegati

Cerca per:
Vai a: