Benvenuto Ospite

Forum Entomologi Italiani

www.entomologiitaliani.net/forum
 
Oggi è 20/01/2026, 22:42

Tutti gli orari sono UTC + 1 ora [ ora legale ]

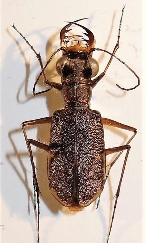
Mesacanthina reductesignata (Horn, 1905) - Carabidae Cicindelinae Cicindelini

1.XII.2015 - ARGENTINA - EE, Santa Fè - Villa Ocampo - dir.Puerto Ocampo - G. L. Agnoli legit


nuovo argomento
rispondi
Pagina 1 di 1 [ 3 messaggi ]
Autore Messaggio
MessaggioInviato: 16/06/2019, 17:04 
Avatar utente

Iscritto il: 23/06/2010, 11:11
Messaggi: 2784
Località: Cagliari
Nome: Gianpaolo Ruzzante
9 mm all'apice del labrum
Penso ma non sono sicuro ... che si tratti di Pentacomia (Mesacanthina) reductesignata Horn, 1905 chiedo conferma o smentita. :hi:


reductesignata - Copia - Copia.JPG

Top
profilo
 Oggetto del messaggio: Re: Pentacomia ?
MessaggioInviato: 17/06/2019, 19:24 
Avatar utente

Iscritto il: 23/06/2010, 11:11
Messaggi: 2784
Località: Cagliari
Nome: Gianpaolo Ruzzante
Dopo aver contattato Aligi B. ( coautore di http://journals.fcla.edu/mundi/article/view/0377 ) che mi ha confermato la giustezza della mia ipotesi di determinazione, possiamo nominarla come Mesacanthina reductesignata (Horn, 1905)
Mi dice anche che "il sottogenere Mesacanthina Rivalier, 1969 é stato recentemente elevato a livello di genere da Jiří Moravec"
Allego mappa di distribuzione modificata con punto blu della nuova stazione.
Un grazie anche a Gian Luca :lov2:


pentacomia.JPG

Top
profilo
 Oggetto del messaggio: Re: Pentacomia ?
MessaggioInviato: 06/07/2019, 19:26 
Avatar utente

Iscritto il: 23/06/2010, 11:11
Messaggi: 2784
Località: Cagliari
Nome: Gianpaolo Ruzzante
Questa si può rinominare come Mesacanthina reductesignata (Horn, 1905)


Top
profilo
Visualizza ultimi messaggi:  Ordina per  
nuovo argomento
rispondi
Pagina 1 di 1 [ 3 messaggi ]

Tutti gli orari sono UTC + 1 ora [ ora legale ]


Chi c’è in linea

Visitano il forum: Nessuno e 1 ospite


Non puoi aprire nuovi argomenti
Non puoi rispondere negli argomenti
Non puoi modificare i tuoi messaggi
Non puoi cancellare i tuoi messaggi
Non puoi inviare allegati

Cerca per:
Vai a:  
cron