Forum Entomologi Italiani
https://www.entomologiitaliani.net/public/forum/phpbb3/

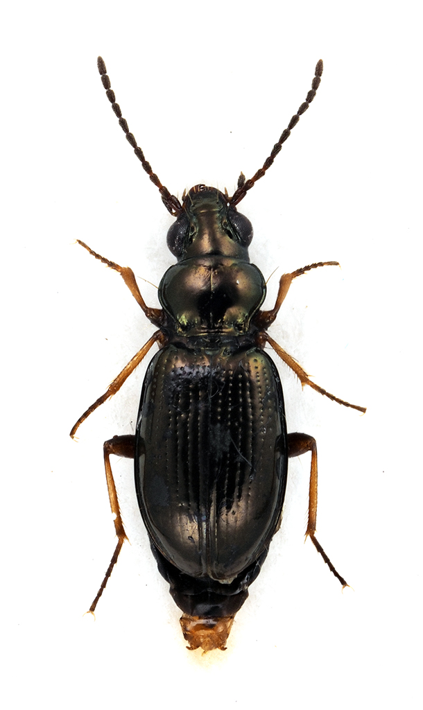
Bembidion (Metallina) lampros (Herbst, 1784) - Carabidae
https://www.entomologiitaliani.net/public/forum/phpbb3/viewtopic.php?f=143&t=86422
Pagina 1 di 1

Autore:  StagBeetle [ 06/09/2019, 21:19 ]
Oggetto del messaggio:  Bembidion (Metallina) lampros (Herbst, 1784) - Carabidae

Credo Metallina (Metallina) lampros (Herbst, 1784)...

Montefortino (Fermo); 15.VI.2019; 1700m

[grazie zio per le foto!!! :birra: ]

Dimensioni: 4mm
Comb2789-26zL3cr.jpg


Comb2790-72zL3cr.jpg



Ciao :)

Autore:  Notoxus59 [ 07/09/2019, 9:20 ]
Oggetto del messaggio:  Re: Metallina (Metallina) lampros (Herbst, 1784) - Carabidae ?

Sia dalla forma delle elitre che per la mancanza della 7° stria direi che è esatto !

Autore:  StagBeetle [ 07/09/2019, 12:45 ]
Oggetto del messaggio:  Re: Metallina (Metallina) lampros (Herbst, 1784) - Carabidae ?

:ok:

Pagina 1 di 1 Tutti gli orari sono UTC + 1 ora [ ora legale ]
Powered by phpBB® Forum Software © phpBB Group
http://www.phpbb.com/