Benvenuto Ospite

Forum Entomologi Italiani

www.entomologiitaliani.net/forum
 
Oggi è 20/01/2026, 3:41

Tutti gli orari sono UTC + 1 ora [ ora legale ]

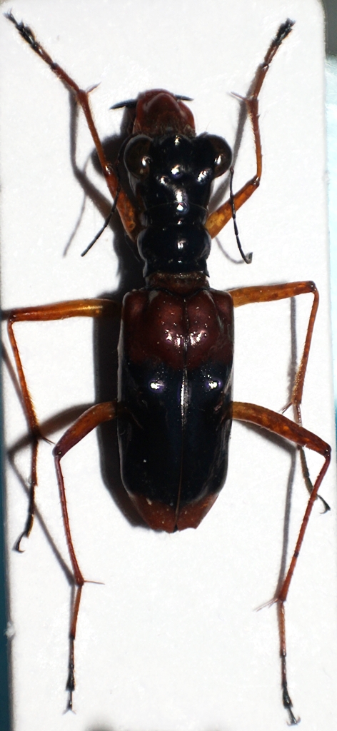
Therates fulvipennis everetti (Bates, 1878) - Carabidae Cicindelinae

VIII.2018 - FILIPPINE - EE, Mindanao - Davao del Sur - Kapatagan


nuovo argomento
rispondi
Pagina 1 di 1 [ 2 messaggi ]
Autore Messaggio
MessaggioInviato: 18/05/2020, 11:33 
Avatar utente

Iscritto il: 03/05/2016, 18:05
Messaggi: 658
Località: Manerbio (BS)
Nome: Niccolò Massimo
Salve a tutti! Anche questa Therates viene dalle Filippine, era assieme a quest'altra, ma è lunga una e volta e mezza quella di prima, circa 20 mm. Spero si riesca ad identificare da queste foto.

therates1.JPG


therates2.JPG


therates3.JPG


therates4.JPG


therates5.JPG


therates6.JPG


Grazie!


Top
profilo
MessaggioInviato: 18/05/2020, 18:45 
Avatar utente

Iscritto il: 08/05/2010, 22:25
Messaggi: 1463
Località: Milano
Nome: Riccardo Sciaky
A rivederli criticamente, questa specie di maggiori dimensioni è il vero Therates fulvipennis everetti Bates, 1878, mentre il più piccolo è un'altra cosa.

Sempre sorry :cry:

_________________
Riccardo


Top
profilo
Visualizza ultimi messaggi:  Ordina per  
nuovo argomento
rispondi
Pagina 1 di 1 [ 2 messaggi ]

Tutti gli orari sono UTC + 1 ora [ ora legale ]


Chi c’è in linea

Visitano il forum: Nessuno e 3 ospiti


Non puoi aprire nuovi argomenti
Non puoi rispondere negli argomenti
Non puoi modificare i tuoi messaggi
Non puoi cancellare i tuoi messaggi
Non puoi inviare allegati

Cerca per:
Vai a:  
cron