Forum Entomologi Italiani
https://www.entomologiitaliani.net/public/forum/phpbb3/

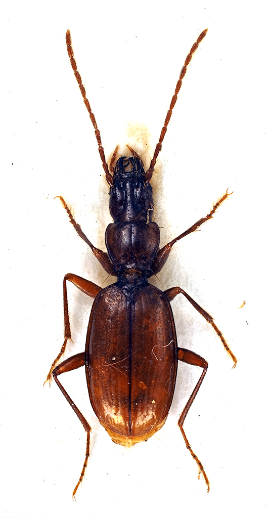
Boldoriella (Boldoriella) humeralis (Dodero, 1924) - Carabidae
https://www.entomologiitaliani.net/public/forum/phpbb3/viewtopic.php?f=143&t=88607
Pagina 1 di 1

Autore:  StagBeetle [ 03/03/2020, 20:37 ]
Oggetto del messaggio:  Boldoriella (Boldoriella) humeralis (Dodero, 1924) - Carabidae

Boldoriella humeralis Dodero, 1924.

Bus del Gas, Paitone (Brescia); 23.II.2013; lg. M. Grottolo :lov1:

[grazie zio per le foto!!! :birra: ]

Dimensioni: 6mm
Comb2977-25zL6cr.jpg


Comb2978-44zL6cr.jpg



Ciao :)

Pagina 1 di 1 Tutti gli orari sono UTC + 1 ora [ ora legale ]
Powered by phpBB® Forum Software © phpBB Group
http://www.phpbb.com/