Benvenuto Ospite

Forum Entomologi Italiani

www.entomologiitaliani.net/forum
 
Oggi è 31/03/2026, 19:10

Tutti gli orari sono UTC + 1 ora [ ora legale ]

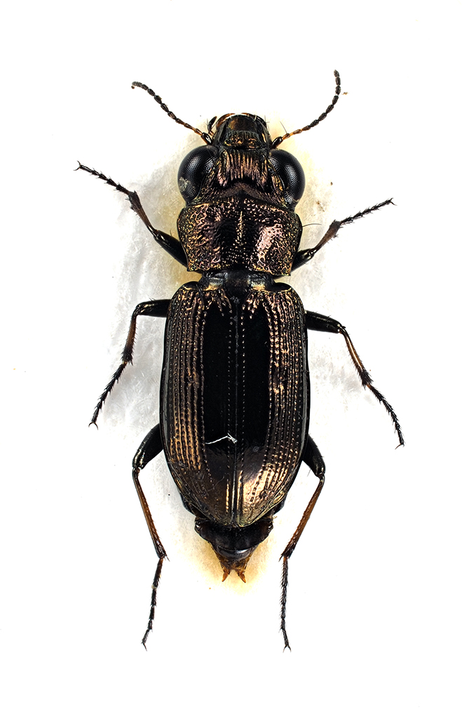
Notiophilus geminatus Dejean & Boisduval, 1830 - Carabidae

13.VII.2020 - ITALIA - Valle d'Aosta - AO, Cime Bianche, Cervinia


nuovo argomento
rispondi
Pagina 1 di 1 [ 1 messaggio ]
Autore Messaggio
MessaggioInviato: 18/09/2020, 19:55 
Avatar utente

Iscritto il: 10/05/2009, 15:30
Messaggi: 7183
Località: Ancona
Nome: Giacomo Giovagnoli
Notiophilus geminatus Dejean & Boisduval, 1830.

Cime Bianche, Cervinia (Aosta); 13.VII.2020

[grazie zio per le foto!!! :birra: ]

Dimensioni: 6mm
Comb3033-47zL6cr.jpg


Comb3034-120zL6cr.jpg



Ciao :)

_________________
Immagine Giacomo


Top
profilo
Visualizza ultimi messaggi:  Ordina per  
nuovo argomento
rispondi
Pagina 1 di 1 [ 1 messaggio ]

Tutti gli orari sono UTC + 1 ora [ ora legale ]


Chi c’è in linea

Visitano il forum: Nessuno e 5 ospiti


Non puoi aprire nuovi argomenti
Non puoi rispondere negli argomenti
Non puoi modificare i tuoi messaggi
Non puoi cancellare i tuoi messaggi
Non puoi inviare allegati

Cerca per:
Vai a: