Benvenuto Ospite

Forum Entomologi Italiani

www.entomologiitaliani.net/forum
 
Oggi è 15/01/2026, 5:23

Tutti gli orari sono UTC + 1 ora [ ora legale ]

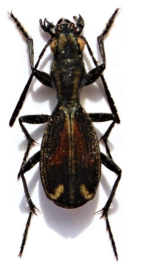
Piezia kuntzeni Burgeon, 1929 - Carabidae

25.XII.2006 - TANZANIA, REPUBBLICA UNITA DI - EE, Shiny Anga prov.,Kahama,100 km dir.to Nyakanazi 1200 m


nuovo argomento
rispondi
Pagina 1 di 1 [ 3 messaggi ]
Autore Messaggio
MessaggioInviato: 28/02/2021, 22:01 
Avatar utente

Iscritto il: 09/11/2009, 14:12
Messaggi: 5184
Località: Hradec Kralove,Czech republik
Nome: Jan Matějíček
Per favore aiuto con determinazione .


4.jpg


_________________
Research Fields
Taxonomy, ecology, biomonitoring , faunistic of Staphylinidae
Top
profilo
 Oggetto del messaggio: Re: Piezia sp.
MessaggioInviato: 01/03/2021, 21:02 
Avatar utente

Iscritto il: 08/05/2010, 22:25
Messaggi: 1463
Località: Milano
Nome: Riccardo Sciaky
Piezia kuntzeni Burgeon, 1929

;)

_________________
Riccardo


Top
profilo
 Oggetto del messaggio: Re: Piezia sp.
MessaggioInviato: 02/03/2021, 9:53 
Avatar utente

Iscritto il: 09/11/2009, 14:12
Messaggi: 5184
Località: Hradec Kralove,Czech republik
Nome: Jan Matějíček
ricdoc57 ha scritto:
Piezia kuntzeni Burgeon, 1929

;)


Grazie mille Riccardo ! :hp:

_________________
Research Fields
Taxonomy, ecology, biomonitoring , faunistic of Staphylinidae


Top
profilo
Visualizza ultimi messaggi:  Ordina per  
nuovo argomento
rispondi
Pagina 1 di 1 [ 3 messaggi ]

Tutti gli orari sono UTC + 1 ora [ ora legale ]


Chi c’è in linea

Visitano il forum: Nessuno e 2 ospiti


Non puoi aprire nuovi argomenti
Non puoi rispondere negli argomenti
Non puoi modificare i tuoi messaggi
Non puoi cancellare i tuoi messaggi
Non puoi inviare allegati

Cerca per:
Vai a:  
cron