Forum Entomologi Italiani
https://www.entomologiitaliani.net/public/forum/phpbb3/

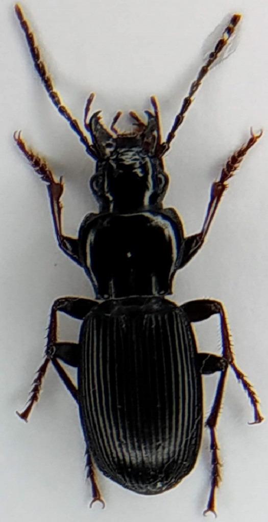
Pterostichus (Pterostichus) phaeopus (Marseul, 1882) - Carabidae
https://www.entomologiitaliani.net/public/forum/phpbb3/viewtopic.php?f=143&t=94672
Pagina 1 di 1

Autore:  fdany [ 08/04/2021, 21:10 ]
Oggetto del messaggio:  Pterostichus (Pterostichus) phaeopus (Marseul, 1882) - Carabidae

Trappola a caduta con aceto

16,5mm
Pterostichini.jpg


Autore:  Francesco92 [ 09/04/2021, 16:33 ]
Oggetto del messaggio:  Re: Pterostichus sp.

Pterostichus micans?

Autore:  fdany [ 11/04/2021, 11:23 ]
Oggetto del messaggio:  Re: Pterostichus sp.

Metto qualche altra foto, magari può aiutare.
Pterostichus_capo.jpg


Pterostichus_pronoto.jpg


pterostichus_elitre.jpg


Pterostichus_zampa.jpg


Autore:  gabrif [ 11/04/2021, 15:59 ]
Oggetto del messaggio:  Re: Pterostichus sp.

Secondo Sciaky 1986 al Monte Chiappo c'e il Pt. phaeopus (Marseul 1882).

:hi: :hi: G.

Pagina 1 di 1 Tutti gli orari sono UTC + 1 ora [ ora legale ]
Powered by phpBB® Forum Software © phpBB Group
http://www.phpbb.com/