Benvenuto Ospite

Forum Entomologi Italiani

www.entomologiitaliani.net/forum
 
Oggi è 01/03/2026, 5:06

Tutti gli orari sono UTC + 1 ora [ ora legale ]

Aptinus displosor (L.Dufour, 1811) - Carabidae

13.V.1991 - SPAGNA - EE, Alcoceber, Valencia


nuovo argomento
rispondi
Pagina 1 di 1 [ 3 messaggi ]
Autore Messaggio
MessaggioInviato: 03/03/2022, 20:30 
Avatar utente

Iscritto il: 10/05/2009, 15:30
Messaggi: 7182
Località: Ancona
Nome: Giacomo Giovagnoli
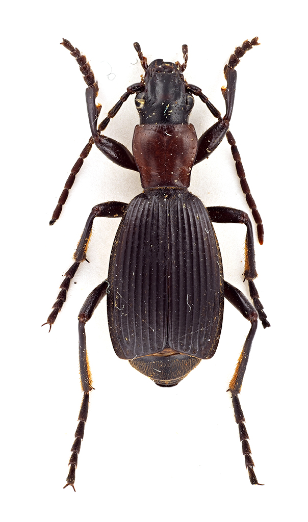
Aptinus displosor (L.Dufour, 1811).

Alcoceber, Valencia (Spagna); 13.V.1991; lg. Hanzlik

[grazie zio per le foto!!! :birra: ]

Maschio; dimensioni: 15mm
Comb3636cr-13zL6.jpg


Comb3637cr-44zL6.jpg



Femmina; dimensioni: 13mm
Comb3634cr-10zL6.jpg


Comb3635cr-26zL6.jpg



Ciao :)

_________________
Immagine Giacomo


Top
profilo
MessaggioInviato: 03/03/2022, 20:34 
Avatar utente

Iscritto il: 14/03/2009, 12:59
Messaggi: 3251
Località: Milano
Nome: Gabriele Franzini
hai selezionato un'altra nazione...


Top
profilo
MessaggioInviato: 03/03/2022, 21:35 
Avatar utente

Iscritto il: 10/05/2009, 15:30
Messaggi: 7182
Località: Ancona
Nome: Giacomo Giovagnoli
Corretto! :ok:

Maledetti diti tozzi! :x :lol: :lol1:

_________________
Immagine Giacomo


Top
profilo
Visualizza ultimi messaggi:  Ordina per  
nuovo argomento
rispondi
Pagina 1 di 1 [ 3 messaggi ]

Tutti gli orari sono UTC + 1 ora [ ora legale ]


Chi c’è in linea

Visitano il forum: Nessuno e 3 ospiti


Non puoi aprire nuovi argomenti
Non puoi rispondere negli argomenti
Non puoi modificare i tuoi messaggi
Non puoi cancellare i tuoi messaggi
Non puoi inviare allegati

Cerca per:
Vai a:  
cron