Benvenuto Ospite

Forum Entomologi Italiani

www.entomologiitaliani.net/forum
 
Oggi è 25/12/2025, 15:23

Tutti gli orari sono UTC + 1 ora [ ora legale ]

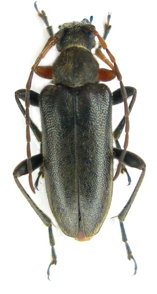
Cortodera flavimana (Waltl, 1838) - Bulgaria

17.VI.2009 - BULGARIA - EE, Vitosha Mt.: Vladaja, 1000-1300m


nuovo argomento
rispondi
Pagina 1 di 1 [ 1 messaggio ]
Autore Messaggio
MessaggioInviato: 10/03/2011, 11:54 
Avatar utente

Iscritto il: 05/09/2009, 7:56
Messaggi: 3445
Località: Cesena
Nome: Gianfranco Sama
Cortodera flavimana (Waltl, 1838) - Bulgaria, Vitosha Mt., Vladaja, 1000-1300m. 17/26.VI.2009, leg. P. Rapuzzi & G. Sama
E' stata talora evocata sul Forum, ma non ancora raffigurata.
Specie molto variabile, con forme scure e chiare in entrambi i sessi. Gli adulti si trovano sulle infiorescenze di Ranunculus a fiori gialli in zone umide. E’ specie a distribuzione sud-est-europea, nota dalla Slovacchia e dall’Austria alla Grecia settentrionale, Bulgaria, Romania (è vero Cosmin ?), Turchia Europea ed asiatica.
Cortodera flavimana_male_black_Bulgaria_Vladaja_ 004.jpg

Cortodera flavimana_male_light form_4Bulgaria_Vladaja_ 003.jpg

Cortodera flavimana_female_black form_Bulgaria_Vladaja_ 010.jpg


_________________
Gianfranco Sama

"Benedetto colui che ti aiuta a correggere i tuoi errori invece di scagliarteli contro"
___________________________________
Gershom Sholem


Top
profilo
Visualizza ultimi messaggi:  Ordina per  
nuovo argomento
rispondi
Pagina 1 di 1 [ 1 messaggio ]

Tutti gli orari sono UTC + 1 ora [ ora legale ]


Chi c’è in linea

Visitano il forum: Nessuno e 7 ospiti


Non puoi aprire nuovi argomenti
Non puoi rispondere negli argomenti
Non puoi modificare i tuoi messaggi
Non puoi cancellare i tuoi messaggi
Non puoi inviare allegati

Cerca per:
Vai a: