Benvenuto Ospite

Forum Entomologi Italiani

www.entomologiitaliani.net/forum
 
Oggi è 25/12/2025, 19:54

Tutti gli orari sono UTC + 1 ora [ ora legale ]

Brachypteroma holtzi Pic, 1905 - Spedizione italo turca - Turchia 2011

25.V.2011 - TURCHIA - EE, Çamliyayla (Mersin), 24.V.2011


nuovo argomento
rispondi
Pagina 1 di 1 [ 1 messaggio ]
Autore Messaggio
MessaggioInviato: 30/06/2011, 17:54 
Avatar utente

Iscritto il: 05/09/2009, 7:56
Messaggi: 3445
Località: Cesena
Nome: Gianfranco Sama
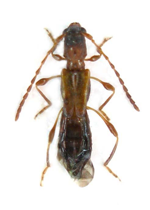
Brachypteroma holtzi Pic, 1905

Turchia Mersin: Çamliyayla, 24/25.V.2011
Specie di piccole dimensioni (5-6 mm) come la nostra B. ottomanum, che sostituisce in Turchia meridionale, Siria e Libano.
La foto non è gran ché, ma, viste le dimensioni, non potevo fare di meglio.
Brachypteroma holtzi_Çamliyayla_Turchia 2011 - preparati 009.jpg


_________________
Gianfranco Sama

"Benedetto colui che ti aiuta a correggere i tuoi errori invece di scagliarteli contro"
___________________________________
Gershom Sholem


Top
profilo
Visualizza ultimi messaggi:  Ordina per  
nuovo argomento
rispondi
Pagina 1 di 1 [ 1 messaggio ]

Tutti gli orari sono UTC + 1 ora [ ora legale ]


Chi c’è in linea

Visitano il forum: Nessuno e 1 ospite


Non puoi aprire nuovi argomenti
Non puoi rispondere negli argomenti
Non puoi modificare i tuoi messaggi
Non puoi cancellare i tuoi messaggi
Non puoi inviare allegati

Cerca per:
Vai a: