| Autore |
Messaggio |
|
Caliddo
|
Inviato: 24/10/2011, 17:57 |
|
Iscritto il: 01/06/2011, 11:43 Messaggi: 292 Località: Palermo
Nome: Lello Brancato
|
|
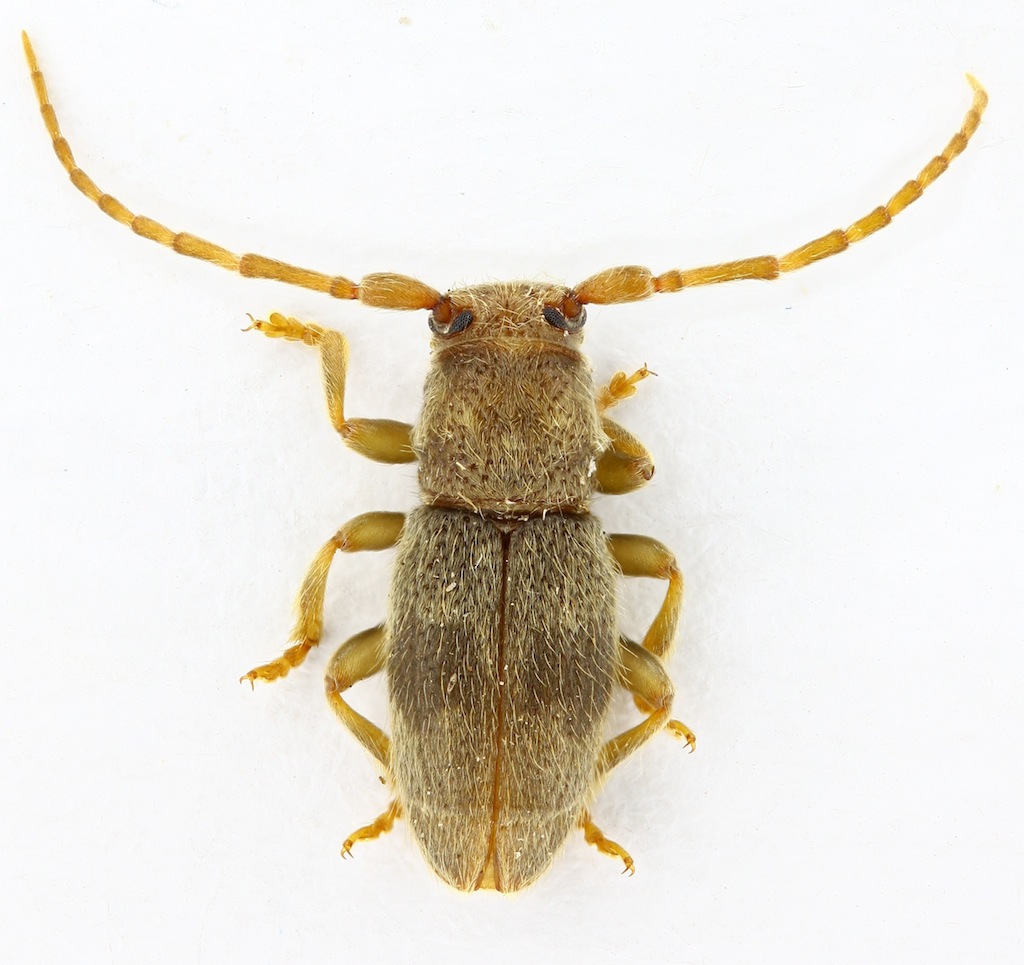
Ieri controllando le scatole dei legni ho trovato quattro Parmena pubescens da tronchetti di Ferula raccolti il 27 luglio scorso. Lello
_________________ ....ed era tutta vela la navicella dell'ingegno mio.
|
|
| Top |
|
 |
|
Trichoferus
|
Inviato: 24/10/2011, 18:28 |
|
Iscritto il: 18/09/2009, 17:23 Messaggi: 217 Località: Czech rep.
Nome: Jan Hrbek
|
|
Confermo Parmena pubescens ssp. pubescens (Dalman, 1817). Gli ho anche allevato della Sicilia dallo stelo secco di Ferula.
_________________ Cerambycidae of Western palearctic region http://www.cerambycidae-hrbek.cz
|
|
| Top |
|
 |
|
Entomarci
|
Inviato: 26/10/2011, 8:26 |
|
Iscritto il: 05/08/2009, 18:02 Messaggi: 2264
Nome: Marcello Benelli
|
mi associo al club degli allevatori di parmena pubescens pubescens dai fusti di ferula siciliani!!! 
_________________ Marci "S'i fosse fuoco, arderei 'l mondo, S'i fosse vento, lo tempesterei, S'i fosse acqua, i' l'annegherei s'i fosse dio, mandereil' en profondo" ( Cecco Angiolieri).
|
|
| Top |
|
 |
|
Caliddo
|
Inviato: 26/10/2011, 13:56 |
|
Iscritto il: 01/06/2011, 11:43 Messaggi: 292 Località: Palermo
Nome: Lello Brancato
|
|
_________________ ....ed era tutta vela la navicella dell'ingegno mio.
|
|
| Top |
|
 |
|
Pippistrello
|
Inviato: 26/10/2011, 18:03 |
|
Iscritto il: 18/06/2010, 0:03 Messaggi: 1214 Località: Predore ( BG)
Nome: Claudio Deiaco
|
Entomarci ha scritto: mi associo al club degli allevatori di parmena pubescens pubescens dai fusti di ferula siciliani!!!  Il bello di questi allevamenti, sia di ferula che di ficus, è che continuano a sfarfallare. Dai rametti raccolti tra febraio e aprile di quest'anno, ne escono ancora adesso. Una volta alla settimana controllo e raccolgo 2-3 esemplari. 
_________________ Claudio Deiaco _____________________________________
|
|
| Top |
|
 |
|
Caliddo
|
Inviato: 26/10/2011, 19:34 |
|
Iscritto il: 01/06/2011, 11:43 Messaggi: 292 Località: Palermo
Nome: Lello Brancato
|
Pippistrello ha scritto: Entomarci ha scritto: mi associo al club degli allevatori di parmena pubescens pubescens dai fusti di ferula siciliani!!!  Il bello di questi allevamenti, sia di ferula che di ficus, è che continuano a sfarfallare. Dai rametti raccolti tra febraio e aprile di quest'anno, ne escono ancora adesso. Una volta alla settimana controllo e raccolgo 2-3 esemplari.  E' vero, sono una fonte inesauribile ! Secondo me quelle che vanno nascendo si accoppiano e depongono nuove uova e il ciclo continua all'infinito.... 
_________________ ....ed era tutta vela la navicella dell'ingegno mio.
|
|
| Top |
|
 |
|
Entomarci
|
Inviato: 27/10/2011, 13:57 |
|
Iscritto il: 05/08/2009, 18:02 Messaggi: 2264
Nome: Marcello Benelli
|
Caliddo ha scritto: Pippistrello ha scritto: Entomarci ha scritto: mi associo al club degli allevatori di parmena pubescens pubescens dai fusti di ferula siciliani!!!  Il bello di questi allevamenti, sia di ferula che di ficus, è che continuano a sfarfallare. Dai rametti raccolti tra febraio e aprile di quest'anno, ne escono ancora adesso. Una volta alla settimana controllo e raccolgo 2-3 esemplari.  E' vero, sono una fonte inesauribile ! Secondo me quelle che vanno nascendo si accoppiano e depongono nuove uova e il ciclo continua all'infinito....  E' piuttosto improbabile quest'ultima affermazione. I lamiini necessitano di un periodo trofico per la maturazione sessuale e non si accoppiano come callidiini (che sono i conigli del mondo dei cerambicidi da questo punto di vista...).
_________________ Marci "S'i fosse fuoco, arderei 'l mondo, S'i fosse vento, lo tempesterei, S'i fosse acqua, i' l'annegherei s'i fosse dio, mandereil' en profondo" ( Cecco Angiolieri).
|
|
| Top |
|
 |
|