Benvenuto Ospite

Forum Entomologi Italiani

www.entomologiitaliani.net/forum
 
Oggi è 18/02/2026, 10:05

Tutti gli orari sono UTC + 1 ora [ ora legale ]

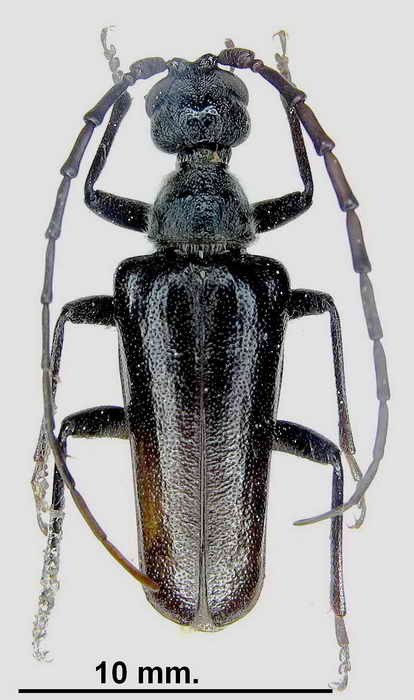
Vesperus bolivari Paulino de Oliveira, 1890 - Cerambycidae

29.VIII.2009 - PORTOGALLO - EE, Sagres, Algarve


nuovo argomento
rispondi
Pagina 1 di 1 [ 2 messaggi ]
Autore Messaggio
MessaggioInviato: 28/10/2011, 9:26 
Avatar utente

Iscritto il: 28/03/2011, 14:46
Messaggi: 634
Località: Cadiz, España
Nome: Antonio Verdugo
Especie endémica del sur de Portugal, con una única localidad conocida en España (Huelva). Es muy característica por su coloración muy oscura, casi negra, por su gran tamaño y élitros acuminados.
Comienza su periodo vital desde finales de agosto y sus larvas se desarrollan entre las raíces de Stipa gigantea.


Tegmen Neotipo
Genitalia neotipo V bolivari .jpg

Vesperus bolivari.jpg


_________________
Antonio Verdugo
https://sites.google.com/site/unentomologoandaluz/
Top
profilo
MessaggioInviato: 28/10/2011, 12:56 
Avatar utente

Iscritto il: 17/02/2009, 0:05
Messaggi: 8524
Località: Isola d'Elba - Arcipelago Toscano
Nome: Leonardo Forbicioni
:shock: :shock: :shock: BELLISSIMOOOO!!! :shock: :shock: :shock:

_________________
"Stay hungry, stay foolish".
Steve Jobs, 2005
___________________
jjuniper8(at)gmail.com
Twitter: @weevil_forbix
cell. 339/5275910
___________________


Top
profilo
Visualizza ultimi messaggi:  Ordina per  
nuovo argomento
rispondi
Pagina 1 di 1 [ 2 messaggi ]

Tutti gli orari sono UTC + 1 ora [ ora legale ]


Chi c’è in linea

Visitano il forum: Nessuno e 3 ospiti


Non puoi aprire nuovi argomenti
Non puoi rispondere negli argomenti
Non puoi modificare i tuoi messaggi
Non puoi cancellare i tuoi messaggi
Non puoi inviare allegati

Cerca per:
Vai a: