Benvenuto Ospite

Forum Entomologi Italiani

www.entomologiitaliani.net/forum
 
Oggi è 27/05/2026, 20:40

Tutti gli orari sono UTC + 1 ora [ ora legale ]

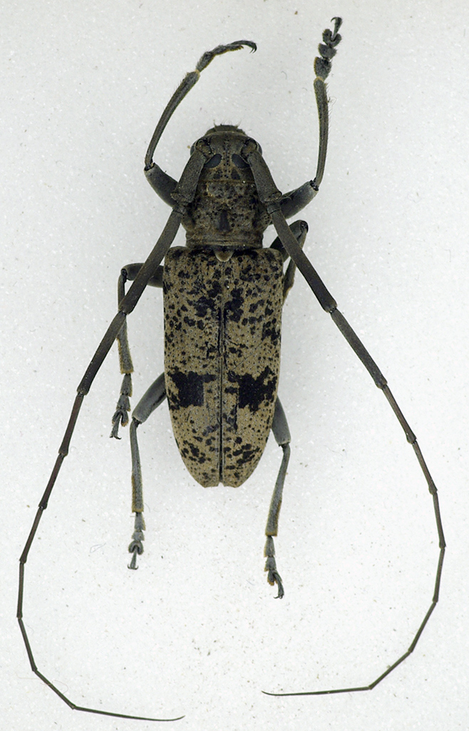
Monochamus (Ethiopiochamus) scabiosus Quedenfeldt, 1882 cf. - Cerambycidae

8.VI.2011 - TOGO - EE, Gbalavé


nuovo argomento
rispondi
Pagina 1 di 1 [ 2 messaggi ]
Autore Messaggio
MessaggioInviato: 29/01/2012, 19:04 
Avatar utente

Iscritto il: 21/05/2010, 23:05
Messaggi: 2984
Località: San Godenzo (FI)
Nome: Carlo Massarone
TG-PLATEAUX
Gbalavé
08.VI.2011 raccoglitore locale

Questo cerambycide (non ancora preparato) riporta sulla bustina solo l'indicazione "Gbalavè" e la data di raccolta. Da una ricerca su internet sono risalito allo stato (Togo) e alla regione (Plateaux). Gbalavé è un villaggio vicino alla città di Kpalimé.

mm. 20

cerambyce3.jpg


_________________
Carlo Massarone


Top
profilo
 Oggetto del messaggio: Re: Cerambycide - TOGO - 3
MessaggioInviato: 07/03/2012, 21:09 
Avatar utente

Iscritto il: 28/05/2011, 21:10
Messaggi: 1981
Nome: Umberto Devincenzo
Sempre premettendo che non me ne intendo, penso :roll: si tratti di Monochamus (Ethiopiochamus) scabiosus Quedenfeldt, 1882, che mi sembra il più simile a questo tra i vari Monochamini che ho trovato presenti in Togo..

_________________
"La compassione e l'empatia per il più piccolo degli animali, è una delle più nobili virtù che un uomo possa ricevere in dono."
Charles Darwin


Top
profilo
Visualizza ultimi messaggi:  Ordina per  
nuovo argomento
rispondi
Pagina 1 di 1 [ 2 messaggi ]

Tutti gli orari sono UTC + 1 ora [ ora legale ]


Chi c’è in linea

Visitano il forum: Nessuno e 3 ospiti


Non puoi aprire nuovi argomenti
Non puoi rispondere negli argomenti
Non puoi modificare i tuoi messaggi
Non puoi cancellare i tuoi messaggi
Non puoi inviare allegati

Cerca per:
Vai a: