Benvenuto Ospite

Forum Entomologi Italiani

www.entomologiitaliani.net/forum
 
Oggi è 28/05/2026, 23:29

Tutti gli orari sono UTC + 1 ora [ ora legale ]

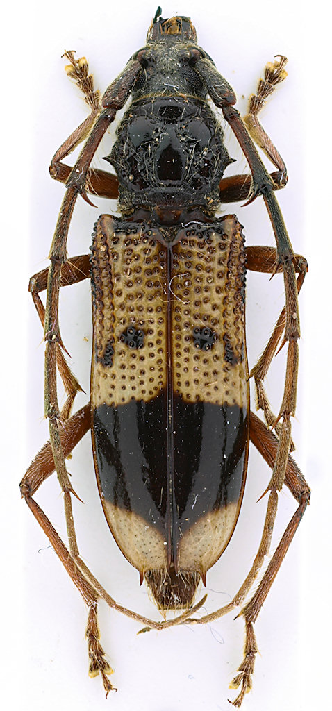
Phoracantha recurva Newman, 1840 Dettagli della specie

V.2010 - ITALIA - Lazio - RM, Maccarese, M. Gigli leg.


nuovo argomento
rispondi
Pagina 1 di 1 [ 1 messaggio ]
Autore Messaggio
MessaggioInviato: 09/06/2010, 0:48 
Avatar utente

Iscritto il: 30/12/2009, 22:20
Messaggi: 31564
Località: Roma
Nome: Maurizio Gigli
Da rami di Eucalyptus infestati da Cerambycidae mi sono usciti esemplari di questa specie recentemente arrivata in Italia:

Phoracantha recurva Newman, 1840

Lazio, Roma, Maccarese, esemplare sfarfallato a fine maggio da rami raccolti il 14.II.2010, M. Gigli legit
21 mm

Phoracantha_recurva_Maccarese_6-VI-2010.jpg



Da notare come nella stessa zona fossero precedentemente comuni gli esemplari dell'altra specie (P. semipunctata), arrivata diversi anni fa in Italia, mentre ora sembra siano stati sostituiti da questa di recente introduzione.

_________________
Maurizio Gigli
http://utenti.romascuola.net/bups
http://bup.xoom.it/


Top
profilo
Visualizza ultimi messaggi:  Ordina per  
nuovo argomento
rispondi
Pagina 1 di 1 [ 1 messaggio ]

Tutti gli orari sono UTC + 1 ora [ ora legale ]


Chi c’è in linea

Visitano il forum: Nessuno e 1 ospite


Non puoi aprire nuovi argomenti
Non puoi rispondere negli argomenti
Non puoi modificare i tuoi messaggi
Non puoi cancellare i tuoi messaggi
Non puoi inviare allegati

Cerca per:
Vai a: