| Autore |
Messaggio |
|
Carlo A.
|
Inviato: 09/12/2020, 13:16 |
|
Iscritto il: 06/11/2011, 23:59 Messaggi: 1134 Località: Casola Valsenio
Nome: Carlo Arrigo Casadio
|
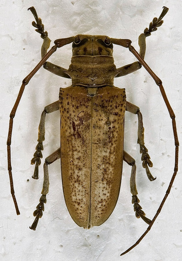
Finalmente, dopo quasi un secolo, questo esemplare ha un nome. Mi ci sono imbattuto 12 anni fa, visitando la collezione del Natural History Museum di Londra; giaceva senza nome in una scatola di materiale indeterminato raccolto nei pressi dell'attuale Jayapura, West Papua, da W. Stuber nel 1934. Quest'anno siamo riusciti a procurarci altri esemplari provenienti sempre dalla stessa area, i dintorni del lago Sentani a sud ovest di Jayapura e abbiamo potuto descrivere la specie. Ringrazio Francesco Vitali per il supporto e l'aiuto fondamentali per la realizzazione del lavoro. La specie è dedicata alla mia guida ed amica Herlina Menufandu senza il cui aiuto le mie spedizioni in Papua non sarebbero state possibili. L'esemplare della foto è stato designato come paratipo. Per visionare l'articolo completo cliccate qui
_________________ Carlo Arrigo
"Solo un entomologo può capire il piacere da me provato nel cacciare per ore in qua e in là, sotto il sole cocente, tra i rami e i ramoscelli e la corteccia degli alberi caduti" Alfred Russel Wallace
|
|
| Top |
|
 |
|
hypotyphlus
|
Inviato: 09/12/2020, 13:45 |
|
Iscritto il: 10/05/2010, 22:31 Messaggi: 4377 Località: Gavorrano (GR)
Nome: marco bastianini
|
_________________ Marco"Le foreste a precedere le civiltà, i deserti a seguire."François-René de Chateaubriand
|
|
| Top |
|
 |
|
missorp
|
Inviato: 09/12/2020, 14:07 |
|
Iscritto il: 01/01/2011, 0:08 Messaggi: 144
Nome: Paolo Missori
|
Caro Carlo sempre bravo. Ti volevo fare una domanda. Il 04/01/2016 avevi scritto che "Il genere Apriona è presente in tutto il Sud-Est asiatico, praticamente scompare in Nuova Guinea per riapparire alle isole Bismark ed a Manus (isola dell'ammiragliato)". Oggi puoi quindi confermare una continuità geografica per Apriona? 
|
|
| Top |
|
 |
|
Apoderus
|
Inviato: 09/12/2020, 15:19 |
|
Iscritto il: 08/02/2010, 23:01 Messaggi: 6190 Località: Vicenza
Nome: Silvano Biondi
|
|
| Top |
|
 |
|
Chalybion
|
Inviato: 09/12/2020, 19:04 |
|
Iscritto il: 08/12/2013, 1:52 Messaggi: 7727 Località: Bagnacavallo (RA)
Nome: Giorgio Pezzi
|
Bravo Carlo Chissà che un giorno anch'io possa almeno saggiare quell'isola 
|
|
| Top |
|
 |
|
cennino
|
Inviato: 09/12/2020, 19:27 |
|
Iscritto il: 21/04/2015, 21:43 Messaggi: 413 Località: Firenze
Nome: Lorenzo Pancini
|
 Complimenti agli autori  Bel gesto dedicare la specie ad Herlina,preziosa guida delle tue spedizioni,mi permetto di aggiungere che è anche una coraggiosa attivista nella difesa dei diritti degli abitanti di Papua,purtroppo oppressi dal governo indonesiano. 
_________________ Lorenzo
|
|
| Top |
|
 |
|
Carlo A.
|
Inviato: 09/12/2020, 23:45 |
|
Iscritto il: 06/11/2011, 23:59 Messaggi: 1134 Località: Casola Valsenio
Nome: Carlo Arrigo Casadio
|
|
Grazie ma il grosso del merito del lavoro va a Matteo, la vera anima (e non solo) del progetto e che con il suo entusiasmo sta mantenendo accesa una fiamma che altrimenti si sarebbe spenta, sopraffatta dagli eventi degli ultimi mesi.
Per rispondere a Paolo in effetti questa è la prima specie del genere Apriona certa per la Nuova Guinea, l'altra specie, l'Apriona nuovaeguineae è considerata incerta, è conosciuta in un unico esemplare e probabilmente si tratta di una Apriona flavescens che è presente in Malesia e tutta la parte ovest dell'Indonesia.
_________________ Carlo Arrigo
"Solo un entomologo può capire il piacere da me provato nel cacciare per ore in qua e in là, sotto il sole cocente, tra i rami e i ramoscelli e la corteccia degli alberi caduti" Alfred Russel Wallace
|
|
| Top |
|
 |
|
Batocerino
|
Inviato: 10/12/2020, 4:33 |
|
Iscritto il: 10/02/2018, 9:53 Messaggi: 277 Località: USA
Nome: Andrea Quaroni
|
Splendido lavoro Carlo ! Non capita spesso di descrivere una nuova Apriona !!! Ciao Andrea
|
|
| Top |
|
 |
|