Forum Entomologi Italiani
https://www.entomologiitaliani.net/public/forum/phpbb3/

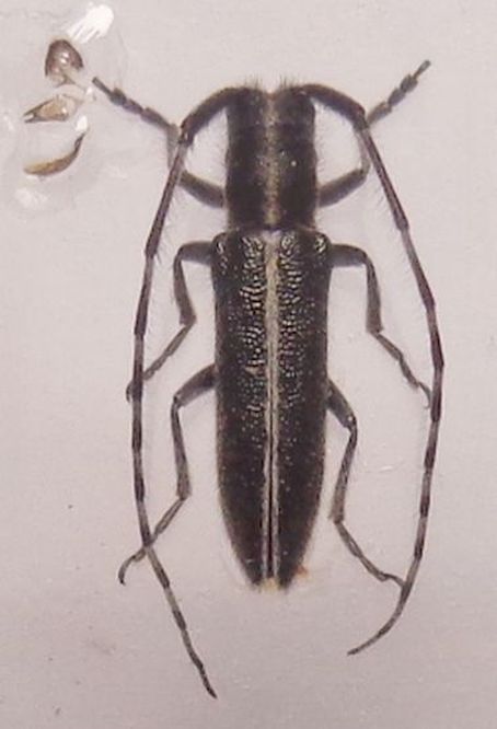
Agapanthia (Agapanthia) suturalis (Fabricius, 1787) - Cerambycidae
https://www.entomologiitaliani.net/public/forum/phpbb3/viewtopic.php?f=145&t=100248
Pagina 1 di 1

Autore:  Chalybion [ 28/08/2022, 20:35 ]
Oggetto del messaggio:  Agapanthia (Agapanthia) suturalis (Fabricius, 1787) - Cerambycidae

A me pare ci siano tutti i presupposti della specie, edeago e apice elitrale ; due esemplari maschi su piante in fiore di Carduus picnocephalus.
:hi:
Asut.JPG



Allegati:
Asut apex.JPG

Asut edeago.JPG


Pagina 1 di 1 Tutti gli orari sono UTC + 1 ora [ ora legale ]
Powered by phpBB® Forum Software © phpBB Group
http://www.phpbb.com/