Forum Entomologi Italiani
https://www.entomologiitaliani.net/public/forum/phpbb3/

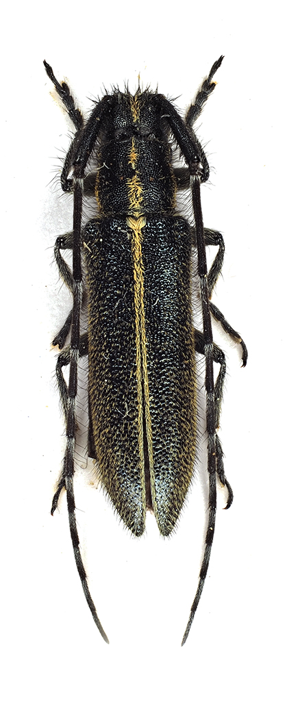
Agapanthia (Agapanthia) cardui (Linnaeus, 1767) - Cerambycidae
https://www.entomologiitaliani.net/public/forum/phpbb3/viewtopic.php?f=145&t=101114
Pagina 1 di 1

Autore:  StagBeetle [ 01/12/2022, 14:38 ]
Oggetto del messaggio:  Agapanthia (Agapanthia) cardui (Linnaeus, 1767) - Cerambycidae

Chi mi aiuta con questa Agapanthia? :roll:

Sefro (Macerata); 15.V.2022; lg. M. Quarello :lov1: :lov2:

[grazie zio per le foto!!! :birra: ]

Dimensioni: 10mm
16Comb3845cr-13L6.jpg



Ciao :)

Autore:  Plagionotus [ 01/12/2022, 14:39 ]
Oggetto del messaggio:  Re: Agapanthia da ID - Cerambycidae

Siamo sempre alle solite con queste, ma nel caso di quest'esemplare il fenotipo รจ da cardui ;)

Autore:  StagBeetle [ 01/12/2022, 20:20 ]
Oggetto del messaggio:  Re: Agapanthia da ID - Cerambycidae

Grazie :birra:

Pagina 1 di 1 Tutti gli orari sono UTC + 1 ora [ ora legale ]
Powered by phpBB® Forum Software © phpBB Group
http://www.phpbb.com/