Forum Entomologi Italiani
https://www.entomologiitaliani.net/public/forum/phpbb3/

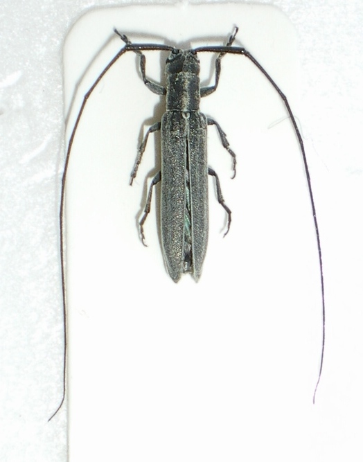
Calamobius filum (Rossi, 1790) - Cerambycidae
https://www.entomologiitaliani.net/public/forum/phpbb3/viewtopic.php?f=145&t=1032
Pagina 1 di 1

Autore:  StagBeetle [ 17/06/2009, 12:52 ]
Oggetto del messaggio:  Calamobius filum (Rossi, 1790) - Cerambycidae

Preso il 12-VI-09 nel parco sotto casa (Ancona).

Dovrebbe essere comunissimo, ma sul forum mancava... ;)

Calamobius fillum 12-VI-09 sotto casa.JPG



Ciao :)

Autore:  Plagionotus [ 17/06/2009, 13:15 ]
Oggetto del messaggio:  Re: Calamobius filum (Rossi, 1790)

infatti, lo è, ma sai, spesso le cose comuni non vengono postate proprio perchè tali, e alla fine non ci sono :lol: , vedo che questo l'hai preparato bene :ok: :)

Autore:  StagBeetle [ 17/06/2009, 13:43 ]
Oggetto del messaggio:  Re: Calamobius filum (Rossi, 1790) Cerambycidae

Si, questo è preparato decentemente, ma non vale: è grossetto! :oops:
Sono quelli piccoli a spaventarmi... :devil:

Ciao :)

Autore:  Plagionotus [ 20/06/2009, 8:38 ]
Oggetto del messaggio:  Re: Calamobius filum (Rossi, 1790) Cerambycidae

tipo le oulema o le grammoptera, o ancora i molorchini lunghi non più di quattro millimetri? :D :)

Pagina 1 di 1 Tutti gli orari sono UTC + 1 ora [ ora legale ]
Powered by phpBB® Forum Software © phpBB Group
http://www.phpbb.com/