| Forum Entomologi Italiani https://www.entomologiitaliani.net/public/forum/phpbb3/ |
|
| Xylotrechus (Xylotrechus) stebbingi Gahan, 1906 - Cerambycidae https://www.entomologiitaliani.net/public/forum/phpbb3/viewtopic.php?f=145&t=10336 |
Pagina 1 di 1 |
| Autore: | Maurizio Bollino [ 08/08/2010, 11:01 ] |
| Oggetto del messaggio: | Xylotrechus (Xylotrechus) stebbingi Gahan, 1906 - Cerambycidae |
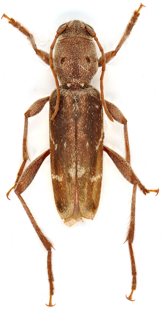
Sicuramente è una specie banale, ma non avendola mai incontrata, e non riuscendo a determinarla, per me è comunque importante conoscerne l'identità. Ne ho trovati alcuni esemplari già secchi in un sacco con tronchetti di Ulmus che avevo prelevato in primavera. Considerando che avevo controllato il sacco nella prima metà di luglio, sono sfarfallati nella seconda metà dello stesso mese. Dati: Puglia - 2 km. Sud di Torre Chianca (LE) - 15-30.VII.2010 - m. 0 - ex Ulmus. Dimesioni: 12 mm |
|
| Autore: | Glaphyrus [ 08/08/2010, 11:06 ] |
| Oggetto del messaggio: | Re: Cerambycidae sp. ex Ulmus - Puglia (LE) |
è lo Xylotrechus stebbingi |
|
| Autore: | Maurizio Bollino [ 08/08/2010, 11:14 ] |
| Oggetto del messaggio: | Re: Xylotrechus stebbingi Gahan, 1906 ex Ulmus - Puglia (LE) |
Aveva una "faccia" familiare, ma non sapevo dove andare a parare!! Grazie, Marco. |
|
| Autore: | Maurizio Bollino [ 08/08/2010, 11:51 ] | ||
| Oggetto del messaggio: | Re: Xylotrechus stebbingi Gahan, 1906 ex Ulmus - Puglia (LE) | ||
CKMap sarebbe decisamente da aggiornare.....
|
|||
| Autore: | Isotomus [ 08/08/2010, 12:31 ] |
| Oggetto del messaggio: | Re: Xylotrechus stebbingi Gahan, 1906 ex Ulmus - Puglia (LE) |
In effetti si è molto diffuso negli ultimi anni (o, forse, si sono moltiplicati i ritrovamenti); io stesso ne ho allevati a centinaia da un vecchio olmo secco di Gatteo (FC) |
|
| Pagina 1 di 1 | Tutti gli orari sono UTC + 1 ora [ ora legale ] |
| Powered by phpBB® Forum Software © phpBB Group http://www.phpbb.com/ |
|