Forum Entomologi Italiani
https://www.entomologiitaliani.net/public/forum/phpbb3/

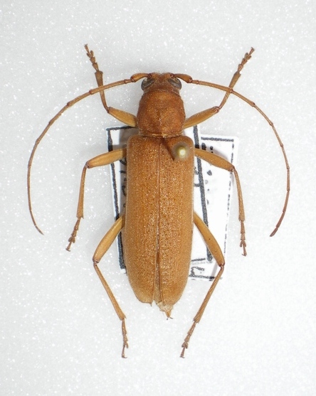
Stromatium unicolor (Olivier, 1795) - Cerambycidae
https://www.entomologiitaliani.net/public/forum/phpbb3/viewtopic.php?f=145&t=1037
Pagina 1 di 1

Autore:  StagBeetle [ 17/06/2009, 14:45 ]
Oggetto del messaggio:  Stromatium unicolor (Olivier, 1795) - Cerambycidae

Trovati entrambi già morti su cataste di legna.
Specie elegantissima! :D

Il maschio è lo stesso di questa discussione.
In garage nel settembre 2008.
Stromatium unicolor 2008 in garage.JPG



La femmina in campagna da un amico a Montacuto (An) nel settembre 2006.
Stromatium unicolor IX-06 campagna di Montacuto.JPG



Ciao :)

Autore:  vitalfranz [ 06/07/2009, 8:46 ]
Oggetto del messaggio:  Re: Stromatium unicolor (Olivier, 1795) ♂ e ♀ Cerambycidae

E anche molto rara da noi, anche se diffusa... :D

Pagina 1 di 1 Tutti gli orari sono UTC + 1 ora [ ora legale ]
Powered by phpBB® Forum Software © phpBB Group
http://www.phpbb.com/