Benvenuto Ospite

Forum Entomologi Italiani

www.entomologiitaliani.net/forum
 
Oggi è 25/12/2025, 23:20

Tutti gli orari sono UTC + 1 ora [ ora legale ]

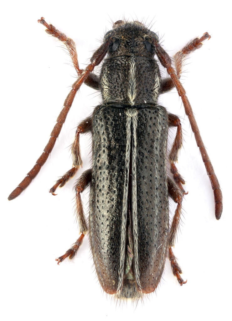
Phytoecia (Coptosia) minuta (Pic, 1891) - Carambycidae

29.V.2011 - TURCHIA - EE, Muş prov., dintorni Buglan gecidi


nuovo argomento
rispondi
Pagina 1 di 1 [ 1 messaggio ]
Autore Messaggio
MessaggioInviato: 08/11/2011, 15:01 
 

Iscritto il: 11/01/2011, 23:27
Messaggi: 21
Località: Russia
Nome: Denis Kasatkin
Phytoecia (Coptosia) minuta (Pic, 1891) - Turkey, Mush prov., near Buglan pass. 29 05 2011, leg. Kasatkin D.


minuta_edit2.jpg

Top
profilo
Visualizza ultimi messaggi:  Ordina per  
nuovo argomento
rispondi
Pagina 1 di 1 [ 1 messaggio ]

Tutti gli orari sono UTC + 1 ora [ ora legale ]


Chi c’è in linea

Visitano il forum: Nessuno e 1 ospite


Non puoi aprire nuovi argomenti
Non puoi rispondere negli argomenti
Non puoi modificare i tuoi messaggi
Non puoi cancellare i tuoi messaggi
Non puoi inviare allegati

Cerca per:
Vai a: