| Autore |
Messaggio |
|
Joro
|
Inviato: 02/12/2010, 17:36 |
|
Iscritto il: 03/09/2010, 14:07 Messaggi: 930 Località: Bulgaria
Nome: Georgi
|
|
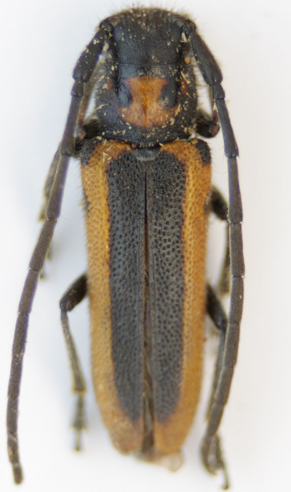
Stara Zagora region,07.05.2010
|
|
| Top |
|
 |
|
Joro
|
Inviato: 02/12/2010, 17:37 |
|
Iscritto il: 03/09/2010, 14:07 Messaggi: 930 Località: Bulgaria
Nome: Georgi
|
|
Sorry,forgot to add the file!
|
|
| Top |
|
 |
|
Isotomus
|
Inviato: 02/12/2010, 18:41 |
|
Iscritto il: 05/09/2009, 7:56 Messaggi: 3445 Località: Cesena
Nome: Gianfranco Sama
|
Yes Georgi, Helladia praetextata praetextata (Steven, 1817)the subspecies ni gricollis (Pic, 1891) is recorded from southern Turkey and Syria 
_________________ Gianfranco Sama
"Benedetto colui che ti aiuta a correggere i tuoi errori invece di scagliarteli contro" ___________________________________ Gershom Sholem
|
|
| Top |
|
 |
|
Plagionotus
|
Inviato: 02/12/2010, 18:46 |
|
Iscritto il: 21/05/2009, 14:59 Messaggi: 6994 Località: Parigi
Nome: Riccardo Poloni
|
|
I don't know this species. Gianfranco, dov'è presente?
_________________ Riccardo Poloni La dignità degli elementi la libertà della poesia, al di là dei tradimenti degli uomini è magia, è magia, è magia... Negrita, Rotolando verso sud
|
|
| Top |
|
 |
|
cosmln
|
Inviato: 02/12/2010, 19:20 |
|
Iscritto il: 26/03/2010, 14:55 Messaggi: 5986 Località: Romania
Nome: Cosmin-Ovidiu Manci
|
|
| Top |
|
 |
|
Plagionotus
|
Inviato: 02/12/2010, 19:26 |
|
Iscritto il: 21/05/2009, 14:59 Messaggi: 6994 Località: Parigi
Nome: Riccardo Poloni
|
Thank you, Cosmin 
_________________ Riccardo Poloni La dignità degli elementi la libertà della poesia, al di là dei tradimenti degli uomini è magia, è magia, è magia... Negrita, Rotolando verso sud
|
|
| Top |
|
 |
|
Isotomus
|
Inviato: 02/12/2010, 19:55 |
|
Iscritto il: 05/09/2009, 7:56 Messaggi: 3445 Località: Cesena
Nome: Gianfranco Sama
|
|
Per la precisione E: AB AR BU GG RO ST UK A: TR Vale a dire (in ordine alfabetico) Azerbaijan, Armenia, Bulgaria, Georgia, Romania, Russia meridionale, Ucraina (in Europa); Turchia centro settentrionale (in Asia).
_________________ Gianfranco Sama
"Benedetto colui che ti aiuta a correggere i tuoi errori invece di scagliarteli contro" ___________________________________ Gershom Sholem
|
|
| Top |
|
 |
|
Plagionotus
|
Inviato: 02/12/2010, 22:15 |
|
Iscritto il: 21/05/2009, 14:59 Messaggi: 6994 Località: Parigi
Nome: Riccardo Poloni
|
|
_________________ Riccardo Poloni La dignità degli elementi la libertà della poesia, al di là dei tradimenti degli uomini è magia, è magia, è magia... Negrita, Rotolando verso sud
|
|
| Top |
|
 |
|
Isotomus
|
Inviato: 03/12/2010, 10:07 |
|
Iscritto il: 05/09/2009, 7:56 Messaggi: 3445 Località: Cesena
Nome: Gianfranco Sama
|
|
C'è eccome ! Mai sentito parlare di mafia turca ? La Turchia è un paese infinito (non per nulla ha i piedi in due continenti) con un'infinità di habitat diversi. Dalle montagne subcostiere al nord (le Alpi Pontiche) con cime fino ad oltre 3000 metri, pianure e montagne al centro, laghi salati, montagne subcostiere al sud, pinete litoranee, macchia mediterranea, ecc., ecc. Questa varietà di ambienti ha provocato, ovviamente, una differenziazione eccezionale, con una fauna ricchissima (spesso endemica) di tipo (in parole povere) europeo, caucasico, iranico, siriano, mediterraneo. Anche l'Italia, comunque, nel suo piccolo, non è male; grazie alla varietà degli ambienti possiede (per molte famiglie) la fauna più ricca fra i paesi europeo. Solo nei Cerambycidae siamo arrivati (anche senza una eccessiva frammentazione in sottospecie) a 284 taxa (e dire che ci mancano, quasi del tutto, i Dorcadion).
_________________ Gianfranco Sama
"Benedetto colui che ti aiuta a correggere i tuoi errori invece di scagliarteli contro" ___________________________________ Gershom Sholem
|
|
| Top |
|
 |
|
Plagionotus
|
Inviato: 03/12/2010, 10:57 |
|
Iscritto il: 21/05/2009, 14:59 Messaggi: 6994 Località: Parigi
Nome: Riccardo Poloni
|
Eh bè, meno male che anche noi italiani non scherziamo. Certo che, se c'è anche la mafia, non gli manca proprio niente 
_________________ Riccardo Poloni La dignità degli elementi la libertà della poesia, al di là dei tradimenti degli uomini è magia, è magia, è magia... Negrita, Rotolando verso sud
|
|
| Top |
|
 |
|
claudio sola
|
Inviato: 04/12/2010, 19:26 |
|
Iscritto il: 20/11/2009, 0:34 Messaggi: 571 Località: Vignola (Mo)
Nome: Claudio Sola
|
|
Ciao Riccardo , la Turchia è un paese davvero fantastico , naturalisticamente parlando , ma anche per quanto riguarada la storia e il paesaggio è veramente bellissima , io la helladia pretaxata la ho raccolta nel nord della Turchia tra Bolu e il Mar Nero , Gianfranco ne ha una mia in coll. è molto bella , ma vive in un ambiente un poco strano e su una pianta stranissima per sessere un phitoecino.
_________________ merlino
|
|
| Top |
|
 |
|