| Autore |
Messaggio |
|
Alessio89
|
Inviato: 28/01/2011, 20:41 |
|
Iscritto il: 23/06/2010, 19:05 Messaggi: 2591 Località: Pescara
Nome: Alessio Morelli
|
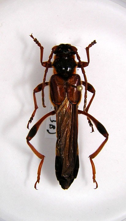
Trovato da un amico, di un amico, su dei fiori Lunghezza: 35 mm circa 
|
|
| Top |
|
 |
|
jaho
|
Inviato: 28/01/2011, 20:48 |
|
Iscritto il: 31/05/2010, 13:17 Messaggi: 166 Località: Warsaw
Nome: Jan Tatur-Dytkowski
|
|
Necydalis major Linnaeus, 1758.
_________________ "Whenever I hear of the capture of rare beetles, I feel like an old war-horse at the sound of a trumpet"
- Charles Darwin
Ultima modifica di jaho il 28/01/2011, 20:58, modificato 1 volta in totale.
|
|
| Top |
|
 |
|
conan
|
Inviato: 28/01/2011, 20:54 |
|
Iscritto il: 09/06/2009, 13:19 Messaggi: 1229 Località: Modena
Nome: Omar Pacchioni
|
chissa se leggerà questo post Riccardino (l ex dadopimpi) ehehhehe Riccardo,q uesto è l insettino di cui ti parlavo l altra sera al circolo... se ci sei batti un colpo! 
_________________ ..OOOO.......OOO.....OO......OOO......OOOO OO.....OO....OO..O.O..O....OO....O....OO....O OO.....OO....OO....O...O....OOOOO....OOOO ..OOOO.......OO.........O....OO....O....OO....O
|
|
| Top |
|
 |
|
conan
|
Inviato: 28/01/2011, 20:59 |
|
Iscritto il: 09/06/2009, 13:19 Messaggi: 1229 Località: Modena
Nome: Omar Pacchioni
|
|
sembra femmina di N.ulmi
_________________ ..OOOO.......OOO.....OO......OOO......OOOO OO.....OO....OO..O.O..O....OO....O....OO....O OO.....OO....OO....O...O....OOOOO....OOOO ..OOOO.......OO.........O....OO....O....OO....O
|
|
| Top |
|
 |
|
Glaphyrus
|
Inviato: 28/01/2011, 21:37 |
|
Iscritto il: 05/02/2009, 17:28 Messaggi: 3228
Nome: Marco Uliana
|
Alessio89 ha scritto: Trovato da un amico, di un amico, su dei fiori Che c ulpo di fortuna 
|
|
| Top |
|
 |
|
Isotomus
|
Inviato: 28/01/2011, 23:04 |
|
Iscritto il: 05/09/2009, 7:56 Messaggi: 3445 Località: Cesena
Nome: Gianfranco Sama
|
Credo proprio si tratti di Necydalis ulmi (Chevrolat, 1838). Complimenti, ritrovato in Abruzzo dopo circa un secolo  Gli ultimi ritrovamenti di cui ho notizia risalgono a Costa (attorno al 1850, citazione di Avezzano) e a Leoni (1908) (citazione di Cerchio nella Marsica). Ma da buon seguace di San Tommaso; siamo certi dell'esattezza del reperto ? Un Necydalis su fiori mi risulta molto, ma molto strano  (seppure non impossibile, magari c'era caduto).
_________________ Gianfranco Sama
"Benedetto colui che ti aiuta a correggere i tuoi errori invece di scagliarteli contro" ___________________________________ Gershom Sholem
Ultima modifica di Isotomus il 28/01/2011, 23:07, modificato 1 volta in totale.
|
|
| Top |
|
 |
|
Alessio89
|
Inviato: 28/01/2011, 23:07 |
|
Iscritto il: 23/06/2010, 19:05 Messaggi: 2591 Località: Pescara
Nome: Alessio Morelli
|
Grazie a tutti 
|
|
| Top |
|
 |
|
jaho
|
Inviato: 28/01/2011, 23:41 |
|
Iscritto il: 31/05/2010, 13:17 Messaggi: 166 Località: Warsaw
Nome: Jan Tatur-Dytkowski
|
Lower parts of tibiae should be at least a little darkened. Confused 
_________________ "Whenever I hear of the capture of rare beetles, I feel like an old war-horse at the sound of a trumpet"
- Charles Darwin
|
|
| Top |
|
 |
|
conan
|
Inviato: 29/01/2011, 0:05 |
|
Iscritto il: 09/06/2009, 13:19 Messaggi: 1229 Località: Modena
Nome: Omar Pacchioni
|
|
Gianfranco, solitamente dove si trovano su fogliame o su legna ???
_________________ ..OOOO.......OOO.....OO......OOO......OOOO OO.....OO....OO..O.O..O....OO....O....OO....O OO.....OO....OO....O...O....OOOOO....OOOO ..OOOO.......OO.........O....OO....O....OO....O
|
|
| Top |
|
 |
|
Isotomus
|
Inviato: 30/01/2011, 10:47 |
|
Iscritto il: 05/09/2009, 7:56 Messaggi: 3445 Località: Cesena
Nome: Gianfranco Sama
|
conan ha scritto: Gianfranco, solitamente dove si trovano su fogliame o su legna ??? Omar, scusa il ritardo, ma ho avuto Pierpaolo Rapuzzi di passaggio a Cesena e ho pensato ad altro. Premesso che non ho mai avuto il piacere di vedere un Necydalis vivo in natura, posso confermarti che, almeno le specie nostrane, normalmente non frequentano i fiori. Secondo la letteratura, e ritorno ad incitarti a sfruttare le possibilità di Internet, per esempio questi siti http://www.cerambyx.uochb.cz/nulmi.htm o questo http://www.entomologie-mv.de/Virgo%2020 ... lungen.pdfGli adulti si trovano presso le piante ospiti, spesso all'interno delle grandi cavità o sulle foglie o svolazzanti (assomigliano a dei grossi Imenotteri) attorno ad esse. Sono attirati dalle trappole zuccherine. La biologia è descritta in un lavoro di Rejzek & Vlasak, di cui qualcuno di buona volontà potrebbe trovare il PDF: REJZEK, M. & VLASÁK, J. (2000 [1999]): Larval nutrition and female oviposition preferences of Necydalis ulmi Chevrolat, 1838. Biocosme Mésogéen (Nice) 16 (1-2): 55-66.
_________________ Gianfranco Sama
"Benedetto colui che ti aiuta a correggere i tuoi errori invece di scagliarteli contro" ___________________________________ Gershom Sholem
|
|
| Top |
|
 |
|
cosmln
|
Inviato: 30/01/2011, 10:54 |
|
Iscritto il: 26/03/2010, 14:55 Messaggi: 5993 Località: Romania
Nome: Cosmin-Ovidiu Manci
|
Isotomus ha scritto: conan ha scritto: Gianfranco, solitamente dove si trovano su fogliame o su legna ??? Omar, scusa il ritardo, ma ho avuto Pierpaolo Rapuzzi di passaggio a Cesena e ho pensato ad altro. Premesso che non ho mai avuto il piacere di vedere un Necydalis vivo in natura, posso confermarti che, almeno le specie nostrane, normalmente non frequentano i fiori. Secondo la letteratura, e ritorno ad incitarti a sfruttare le possibilità di Internet, per esempio questi siti http://www.cerambyx.uochb.cz/nulmi.htm o questo http://www.entomologie-mv.de/Virgo%2020 ... lungen.pdfGli adulti si trovano presso le piante ospiti, spesso all'interno delle grandi cavità o sulle foglie o svolazzanti (assomigliano a dei grossi Imenotteri) attorno ad esse. Sono attirati dalle trappole zuccherine. La biologia è descritta in un lavoro di Rejzek & Vlasak, di cui qualcuno di buona volontà potrebbe trovare il PDF: REJZEK, M. & VLASÁK, J. (2000 [1999]): Larval nutrition and female oviposition preferences of Necydalis ulmi Chevrolat, 1838. Biocosme Mésogéen (Nice) 16 (1-2): 55-66. quindi quello e tipo di "albero" che devo prima ricercare 
_________________ Cosmin-Ovidiu Manci ********************** cosmln's place - my blogjust insectsDragonflies of Romania
|
|
| Top |
|
 |
|
Isotomus
|
Inviato: 30/01/2011, 11:11 |
|
Iscritto il: 05/09/2009, 7:56 Messaggi: 3445 Località: Cesena
Nome: Gianfranco Sama
|
Non solo, anche vecchie piante con cavità e grossi rami morti (old living plants with hollows, caries, big dead branches) 
_________________ Gianfranco Sama
"Benedetto colui che ti aiuta a correggere i tuoi errori invece di scagliarteli contro" ___________________________________ Gershom Sholem
|
|
| Top |
|
 |
|
Glaphyrus
|
Inviato: 30/01/2011, 11:39 |
|
Iscritto il: 05/02/2009, 17:28 Messaggi: 3228
Nome: Marco Uliana
|
Isotomus ha scritto: Premesso che non ho mai avuto il piacere di vedere un Necydalis vivo in natura Naaa! Gianfranco ci sono riuscito pure io andando in Turchia una volta sola Porta pazienza  , non potevo non cogliere l'occasione di millantare questo, dopo tutta la mia incapacità di allevare cerambici... Nella Turchia centrale (Sivas) ho beccato un individuo che è arrivato a volo su un vecchio albero cariato. L'ho dato a Pierpaolo, forse l'hai visto.
|
|
| Top |
|
 |
|
Isotomus
|
Inviato: 30/01/2011, 12:24 |
|
Iscritto il: 05/09/2009, 7:56 Messaggi: 3445 Località: Cesena
Nome: Gianfranco Sama
|
Beh, prima o poi ci riuscirò anch'io; ho tempo davanti 
_________________ Gianfranco Sama
"Benedetto colui che ti aiuta a correggere i tuoi errori invece di scagliarteli contro" ___________________________________ Gershom Sholem
|
|
| Top |
|
 |
|
f.izzillo
|
Inviato: 30/01/2011, 12:29 |
|
Iscritto il: 22/12/2009, 13:31 Messaggi: 9646 Località: Napoli
Nome: Francesco Izzillo
|
Isotomus ha scritto: conan ha scritto: Gianfranco, solitamente dove si trovano su fogliame o su legna ??? Omar, scusa il ritardo, ma ho avuto Pierpaolo Rapuzzi di passaggio a Cesena e ho pensato ad altro. Premesso che non ho mai avuto il piacere di vedere un Necydalis vivo in natura, posso confermarti che, almeno le specie nostrane, normalmente non frequentano i fiori. Secondo la letteratura, e ritorno ad incitarti a sfruttare le possibilità di Internet, per esempio questi siti http://www.cerambyx.uochb.cz/nulmi.htm o questo http://www.entomologie-mv.de/Virgo%2020 ... lungen.pdfGli adulti si trovano presso le piante ospiti, spesso all'interno delle grandi cavità o sulle foglie o svolazzanti (assomigliano a dei grossi Imenotteri) attorno ad esse. Sono attirati dalle trappole zuccherine.La biologia è descritta in un lavoro di Rejzek & Vlasak, di cui qualcuno di buona volontà potrebbe trovare il PDF: REJZEK, M. & VLASÁK, J. (2000 [1999]): Larval nutrition and female oviposition preferences of Necydalis ulmi Chevrolat, 1838. Biocosme Mésogéen (Nice) 16 (1-2): 55-66. Confermo: volano attorno alle grosse cavità nelle quali depongono e all'interno delle quali sono reperibili e si posano anche sul fogliame.
_________________ Francesco Izzillo
|
|
| Top |
|
 |
|