Forum Entomologi Italiani
https://www.entomologiitaliani.net/public/forum/phpbb3/

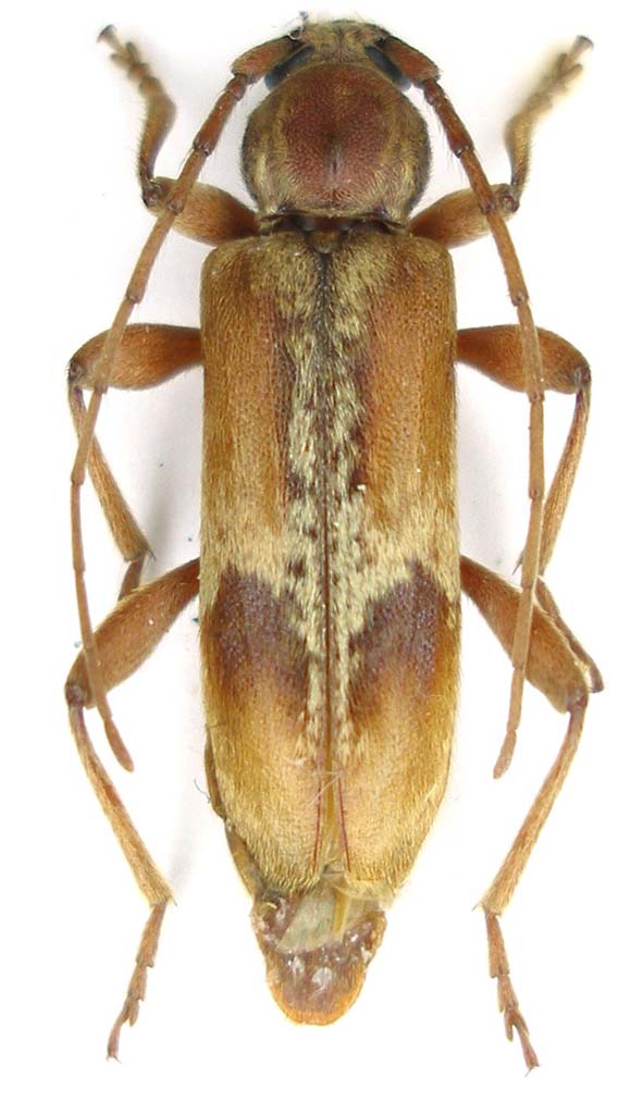
Trichoferus pallidus (Olivier, 1790)
https://www.entomologiitaliani.net/public/forum/phpbb3/viewtopic.php?f=145&t=18113
Pagina 1 di 1

Autore:  Isotomus [ 28/02/2011, 12:40 ]
Oggetto del messaggio:  Trichoferus pallidus (Olivier, 1790)

Trichoferus pallidus (Olivier, 1790)
Callidium pallidum Olivier, 1790, Encyclopedie Méthodique, Entomologie, 5 (Ins.): 256. Type locality: Italie.

Austria, Bosnia-Herzegovina, Bulgaria, Croazia, Czechia, Germania, Grecia, Ungheria, Polonia, Portogallo, Romania, Slovakia, Spagna, Russia (Southern territory), Ucraina, Yugoslavia.
Benché descritto di "Italie" non è noto del nostro paese.
Numerose latifoglie sono citate come piante ospiti della larva.
Nell'ordine il maschio e la femmina

Trichoferus pallidus_Francia_male 028.jpg

Trichoferus pallidus_Francia_female 025.jpg


Pagina 1 di 1 Tutti gli orari sono UTC + 1 ora [ ora legale ]
Powered by phpBB® Forum Software © phpBB Group
http://www.phpbb.com/