| Forum Entomologi Italiani https://www.entomologiitaliani.net/public/forum/phpbb3/ |
|
| Obrium brunneum (Fabricius, 1792) - Cerambycidae https://www.entomologiitaliani.net/public/forum/phpbb3/viewtopic.php?f=145&t=18672 |
Pagina 1 di 1 |
| Autore: | conan [ 13/03/2011, 23:05 ] | ||
| Oggetto del messaggio: | Obrium brunneum (Fabricius, 1792) - Cerambycidae | ||
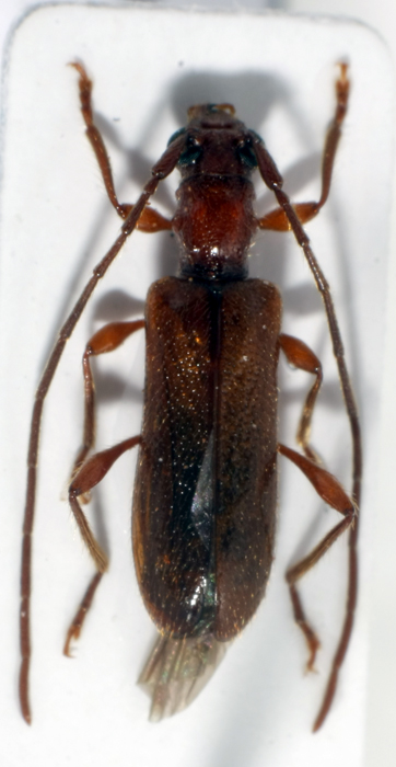
lunghezza 8 mm circa Obrium brunneum?
|
|||
| Autore: | Tc70 [ 13/03/2011, 23:25 ] |
| Oggetto del messaggio: | Re: cerambicide |
Sembrerebbe lui....
|
|
| Autore: | Plagionotus [ 13/03/2011, 23:49 ] |
| Oggetto del messaggio: | Re: cerambicide |
Obrium brunneum (Fabricius, 1792)
|
|
| Pagina 1 di 1 | Tutti gli orari sono UTC + 1 ora [ ora legale ] |
| Powered by phpBB® Forum Software © phpBB Group http://www.phpbb.com/ |
|