Benvenuto Ospite

Forum Entomologi Italiani

www.entomologiitaliani.net/forum
 
Oggi è 25/12/2025, 21:17

Tutti gli orari sono UTC + 1 ora [ ora legale ]

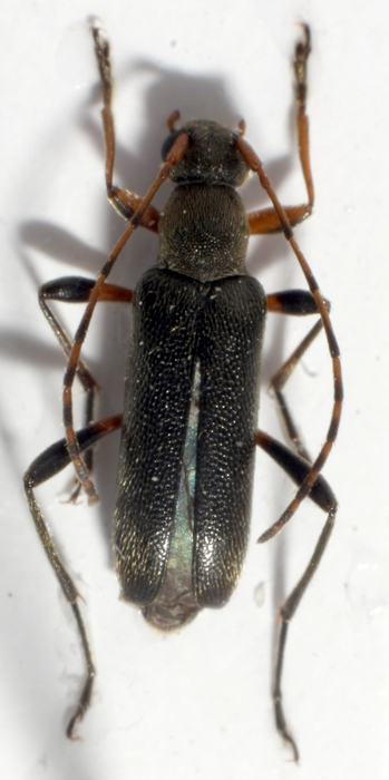
Grammoptera ruficornis ruficornis (Fabricius, 1781) Dettagli della specie

31.V.2010 - ITALIA - Emilia-Romagna - MO, Roccamalatina


nuovo argomento
rispondi
Vai alla pagina 1, 2  Prossimo
Pagina 1 di 2 [ 19 messaggi ]
Autore Messaggio
MessaggioInviato: 13/03/2011, 23:23 
Avatar utente

Iscritto il: 09/06/2009, 13:19
Messaggi: 1229
Località: Modena
Nome: Omar Pacchioni
lunghezza 6 mm circa
ciao grazie


cerROC.jpg


_________________
..OOOO.......OOO.....OO......OOO......OOOO
OO.....OO....OO..O.O..O....OO....O....OO....O
OO.....OO....OO....O...O....OOOOO....OOOO
..OOOO.......OO.........O....OO....O....OO....O
Top
profilo
 Oggetto del messaggio: Re: cerambicidaee
MessaggioInviato: 13/03/2011, 23:27 
Avatar utente

Iscritto il: 09/11/2010, 19:52
Messaggi: 4518
Località: Brescia
Nome: Luca Bodei
Cortodera femorata :roll: :hi: :birra:

_________________
Tc70


Top
profilo
 Oggetto del messaggio: Re: cerambicidaee
MessaggioInviato: 13/03/2011, 23:48 
Avatar utente

Iscritto il: 21/05/2009, 14:59
Messaggi: 6994
Località: Parigi
Nome: Riccardo Poloni
:no: . Guarda meglio. La tribù però è giusta :D :)

_________________
Riccardo Poloni
La dignità degli elementi
la libertà della poesia,
al di là dei tradimenti degli uomini
è magia, è magia, è magia...
Negrita, Rotolando verso sud


Top
profilo
 Oggetto del messaggio: Re: cerambicidaee
MessaggioInviato: 13/03/2011, 23:57 
Avatar utente

Iscritto il: 09/11/2010, 19:52
Messaggi: 4518
Località: Brescia
Nome: Luca Bodei
Plagionotus ha scritto:
:no: . Guarda meglio. La tribù però è giusta :D :)



HELP...dove ho sbagliato :? help :to: :hi: :birra:

_________________
Tc70


Top
profilo
 Oggetto del messaggio: Re: cerambicidaee
MessaggioInviato: 14/03/2011, 0:02 
Avatar utente

Iscritto il: 21/05/2009, 14:59
Messaggi: 6994
Località: Parigi
Nome: Riccardo Poloni
Guarda qui tra i Rhagiini: viewtopic.php?f=145&t=14442 :D :)

_________________
Riccardo Poloni
La dignità degli elementi
la libertà della poesia,
al di là dei tradimenti degli uomini
è magia, è magia, è magia...
Negrita, Rotolando verso sud


Top
profilo
 Oggetto del messaggio: Re: cerambicidaee
MessaggioInviato: 14/03/2011, 0:09 
Avatar utente

Iscritto il: 09/11/2010, 19:52
Messaggi: 4518
Località: Brescia
Nome: Luca Bodei
Plagionotus ha scritto:
Guarda qui tra i Rhagiini: viewtopic.php?f=145&t=14442 :D :)



Cortodera holoserica :roll: Spero di non aver sbagliato...... :? :hi: :birra:

_________________
Tc70


Top
profilo
 Oggetto del messaggio: Re: cerambicidaee
MessaggioInviato: 14/03/2011, 0:11 
Avatar utente

Iscritto il: 19/09/2009, 22:25
Messaggi: 5913
Località: Brescia
Nome: Vinicio Salami
Plagionotus ha scritto:
Guarda qui tra i Rhagiini: viewtopic.php?f=145&t=14442 :D :)


perchè fai sempre gli indovinelli?...non sarebbe più semplice scrivere il nome corretto e sistemare la discussione?
se lo dovessimo fare tutti credo che il forum andrebbe amministrato da Gerry Scotti.

:gun: :gun:


Top
profilo
 Oggetto del messaggio: Re: cerambicidaee
MessaggioInviato: 14/03/2011, 0:15 
Avatar utente

Iscritto il: 21/05/2009, 14:59
Messaggi: 6994
Località: Parigi
Nome: Riccardo Poloni
Semplicemente pensavo che se ci arrivava lui da solo se lo ricordava sicuramente e imparava qualcosa, se glielo dicevo io aveva perso 5 preziosissimi minuti della sua vita. E tu potevi anche aspettare 1 ora (dico, 1 ora) per taxare la discussione. Comunque:

Grammoptera ruficornis ruficornis (Fabricius, 1781)

_________________
Riccardo Poloni
La dignità degli elementi
la libertà della poesia,
al di là dei tradimenti degli uomini
è magia, è magia, è magia...
Negrita, Rotolando verso sud


Top
profilo
 Oggetto del messaggio: Re: cerambicidaee
MessaggioInviato: 14/03/2011, 0:20 
Avatar utente

Iscritto il: 09/11/2010, 19:52
Messaggi: 4518
Località: Brescia
Nome: Luca Bodei
Dai non litighiamo,in fin dei conti ho sbagliato io e sono io che devo capire,d'altro canto non sono un esperto ,ci provo e se sbaglio pazienza,il bello del forum è questo,c'è sempre qualcuno che ti fa capire in vari modi dove si sbaglia e come si corregge :lov2: :birra: :hi:

_________________
Tc70


Top
profilo
 Oggetto del messaggio: Re: cerambicidaee
MessaggioInviato: 14/03/2011, 0:27 
Avatar utente

Iscritto il: 21/05/2010, 23:05
Messaggi: 2984
Località: San Godenzo (FI)
Nome: Carlo Massarone
Però così non vale, Riccardo: ci hai mandato fuori strada con la tribù. :no:
Anch'io avrei detto Cortodera femorata. Dopo la tua risposta, però, ho guardato meglio il pronoto e mi sono convinto. :ok:
:birra: :birra:

_________________
Carlo Massarone


Top
profilo
MessaggioInviato: 14/03/2011, 1:25 
Avatar utente

Iscritto il: 09/06/2009, 13:19
Messaggi: 1229
Località: Modena
Nome: Omar Pacchioni
per far chiudere l anello, ecco qua un tentato allevamento!
ciao
viewtopic.php?f=11&t=18406

_________________
..OOOO.......OOO.....OO......OOO......OOOO
OO.....OO....OO..O.O..O....OO....O....OO....O
OO.....OO....OO....O...O....OOOOO....OOOO
..OOOO.......OO.........O....OO....O....OO....O


Top
profilo
 Oggetto del messaggio: Re: cerambicidaee
MessaggioInviato: 14/03/2011, 1:44 
Avatar utente

Iscritto il: 19/09/2009, 22:25
Messaggi: 5913
Località: Brescia
Nome: Vinicio Salami
Plagionotus ha scritto:
Semplicemente pensavo che se ci arrivava lui da solo se lo ricordava sicuramente e imparava qualcosa, se glielo dicevo io aveva perso 5 preziosissimi minuti della sua vita. E tu potevi anche aspettare 1 ora (dico, 1 ora) per taxare la discussione...


se tu avessi scritto subito il nome corretto, invitando Luca a controllarsi la tribù (come hai postato prima), la discussione sarebbe stata subito taxata, Luca sarebbe comunque andato a verificare meglio, se era interessato a migliorare le sue conoscienze settoriali, e ci saremmo evitati questa tiritera.
a me dei Cerambici (come del resto di tutto quello che non appartiene ai Carabidi) interessa molto poco o quasi e le discussioni relative a queste bestiole le apro solo per sistemarne i titoli, visto che, molto spesso, le bestie vengono classificate ma il titolo non viene cambiato...così i thread da editare rimangono inevasi per più tempo.
se però sei convinto che vada bene così, continua pure...eviterò, d'ora in poi, di mettere il naso nelle discussioni che non riguardino bestie di mio interesse.

Tc70 ha scritto:
Dai non litighiamo,in fin dei conti ho sbagliato io e sono io che devo capire,d'altro canto non sono un esperto ,ci provo e se sbaglio pazienza,il bello del forum è questo,c'è sempre qualcuno che ti fa capire in vari modi dove si sbaglia e come si corregge :lov2: :birra: :hi:


non mi sembra che stiamo litigando; ho solo espresso il mio parere, che evidentemente diverge da quello di Riccardo.

ciao a tutti :birra: :birra:


Top
profilo
MessaggioInviato: 14/03/2011, 15:41 
Avatar utente

Iscritto il: 21/05/2009, 14:59
Messaggi: 6994
Località: Parigi
Nome: Riccardo Poloni
Va bene, va bene. Da oggi mi limiterò solo a determinare senza niente, se così va bene. D'altra parte siamo nell'epoca dell'ignoranza e dei capponi dei modelli comuni imbottiti con i polpettoni televisivi per distoglierci dai VERI problemi e il tutto immerso nell'olio della nostra bella realtà italiana di contrasti palesi ma che non si vedono....ma non faccio nomi perchè è un forum di entomologia e non di politica.
Tornando a noi non ho capito perchè ho scritto tribù Rhagiini...le Grammoptera sono Lepturini :? . Demenza senile precoce?

_________________
Riccardo Poloni
La dignità degli elementi
la libertà della poesia,
al di là dei tradimenti degli uomini
è magia, è magia, è magia...
Negrita, Rotolando verso sud


Top
profilo
MessaggioInviato: 14/03/2011, 15:51 
Avatar utente

Iscritto il: 19/09/2009, 22:25
Messaggi: 5913
Località: Brescia
Nome: Vinicio Salami
Plagionotus ha scritto:
...Tornando a noi non ho capito perchè ho scritto tribù Rhagiini...le Grammoptera sono Lepturini :? . Demenza senile precoce?


mah...eravamo tutti convinti che avessi volutamente cercato di rendere più difficoltoso il compito di Luca... :to:


Top
profilo
MessaggioInviato: 14/03/2011, 16:00 
Avatar utente

Iscritto il: 21/05/2009, 14:59
Messaggi: 6994
Località: Parigi
Nome: Riccardo Poloni
No. Semplicemente come ogni persona sbaglio anch'io.

P.s. Il mio scopo comunque l'ho raggiunto: dopo questo scambio di battute Luca si ricorderà di sicuro questa specie :mrgreen: :mrgreen: :gh: :gh:

_________________
Riccardo Poloni
La dignità degli elementi
la libertà della poesia,
al di là dei tradimenti degli uomini
è magia, è magia, è magia...
Negrita, Rotolando verso sud


Top
profilo
Visualizza ultimi messaggi:  Ordina per  
nuovo argomento
rispondi
Vai alla pagina 1, 2  Prossimo
Pagina 1 di 2 [ 19 messaggi ]

Tutti gli orari sono UTC + 1 ora [ ora legale ]


Chi c’è in linea

Visitano il forum: Nessuno e 5 ospiti


Non puoi aprire nuovi argomenti
Non puoi rispondere negli argomenti
Non puoi modificare i tuoi messaggi
Non puoi cancellare i tuoi messaggi
Non puoi inviare allegati

Cerca per:
Vai a: